跳到主要內容
新聞發布
市建局規劃及設計部主管鄧文雄(右)及市建局總經理(收購及遷置)鍾建強(左)在記者會上介紹萬安街/大角咀道需求主導重建項目的詳情。
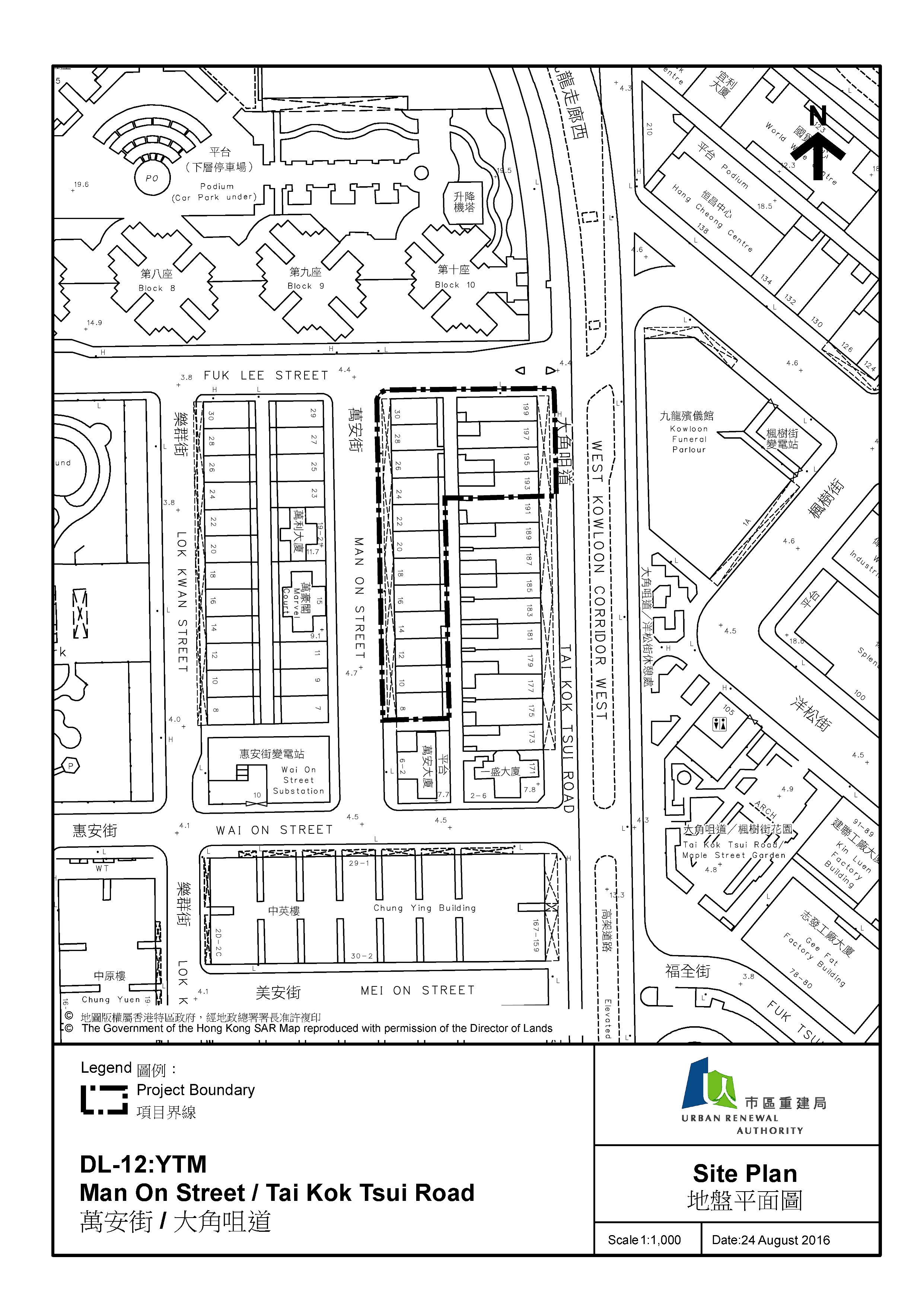
大角咀萬安街/大角咀道需求主導重建項目的界線圖。
大角咀萬安街/大角咀道需求主導重建項目的界線圖。
萬安街/大角咀道需求主導重建項目的現貌
萬安街/大角咀道需求主導重建項目的現貌

市建局啟動第五輪「需求主導」先導計劃的重建項目

市區重建局(市建局)今日(星期五)啟動一個位於大角咀萬安街/大角咀道的 「需求主導」重建項目。該項目為第五輪「需求主導」先導計劃下的一個項目,亦是市建局自2011年推出先導計劃以來第12個「需求主導」項目。

按照《市區重建局條例》第23條,市建局今日於政府憲報刊載公告,宣布啟動這個項目,並展開兩個月的項目公布期。市建局將會考慮於公布期內收到的書面反對意見。

萬安街/大角咀道 「需求主導」重建項目,位於萬安街8至30號(雙數)和大角咀道193至199號(單數)。地盤總面積約1,770平方米,地盤內16個街號的樓宇建於1957及1958年。樓宇狀況屬失修,有劏房和僭建物,居住環境不理想。

項目涉及102個業權,估計重建範圍內居住了約168戶家庭及約有19間地下商舖;但實際情況有待市建局今日進行的凍結人口調查核實。

市建局規劃及設計部主管鄧文雄在今早的新聞簡報會上表示,該項目能否再進一步繼續進行,須視乎是否符合以下兩個先決條件:

  1. 在兩個月的項目公布期後市建局發出有條件收購建議日期起計的75日內,申請地盤內每個地段,必須有不少於八成不分割份數業權的業主接受市建局的有條件收購建議及簽署具法律約束力的買賣合約(八成收購先決條件);及
  2. 項目必須在市建局發出有條件收購建議日期起計的一年內獲得發展局局長授權進行及在授權後的上訴期內沒有上訴,或如有上訴,所有上訴已被駁回(局長授權先決條件)。

如上述任何一個條件未能在有關指定時間內達成,項目將不會繼續進行,並會自動終止。

市建局總經理(收購及遷置)鍾建強亦在簡報會上表示,市建局會在項目的兩個月公布期完結後,盡快向業主提出有條件收購建議。有關收購建議有效期限為75日。

鍾建強說:「若八成收購先決條件於75天期限前達成,以及局長授權先決條件在一年內達成,市建局便會與有關業主完成收購程序,並其後向項目內的合資格自住業主提出『樓換樓』建議。如未能符合該兩個先決條件,項目將不會繼續進行並會自動終止。」

鍾建強表示,約100名市建局職員今日會在項目範圍內樓宇進行凍結人口調查,確定住戶數目和了解樓宇的使用狀況,以便在項目落實進行後決定他們的補償資格及可獲得的補償。

市建局將於下星期舉行簡報會,向受影響的業主和租戶講解項目的規劃審批程序,以及「需求主導」重建項目的物業收購和補償安排。

在未來兩個月,市民可於下列地點,查閱項目的土地界線圖則及項目的一般陳述。

  • 市區重建局市建一站通:九龍大角咀福全街6號一樓;
  • 油尖旺民政事務處諮詢服務中心:九龍旺角聯運街30號旺角政府合署地下;及
  • 市建局總辦事處:香港中環皇后大道中183號中遠大廈26樓。

有關資料亦刊載於市建局網頁(www.ura.org.hk)。

由市區更新基金聘請的救世軍市區重建社區服務隊將會為業主和有需要的居民,提供適切的幫助和輔導。社工隊的聯絡電話是2117 8673。

市建局初步建議在項目內提供約10,300平方米的住宅樓面面積,可建約200個住宅單位。項目亦會提供約2,000平方米的非住宅樓面面積。項目預計可在2024 / 2025年完成。項目的總發展成本,以目前價格初步推算,估計約為17億元。

(完)