跳到主要內容
新聞發布
市建局總監(規劃及設計)區俊豪(右)及市建局收購及遷置總經理譚建強(左)在記者會上介紹榮光街/崇安街發展項目的詳情。
榮光街/崇安街發展項目的現貌
榮光街/崇安街發展項目的現貌
崇慶里/桂香街發展項目範圍內的樓宇欠缺維修和保養,部份亦出現石屎剝落的情況。
崇慶里/桂香街發展項目範圍內的樓宇欠缺維修和保養,部份亦出現石屎剝落的情況。
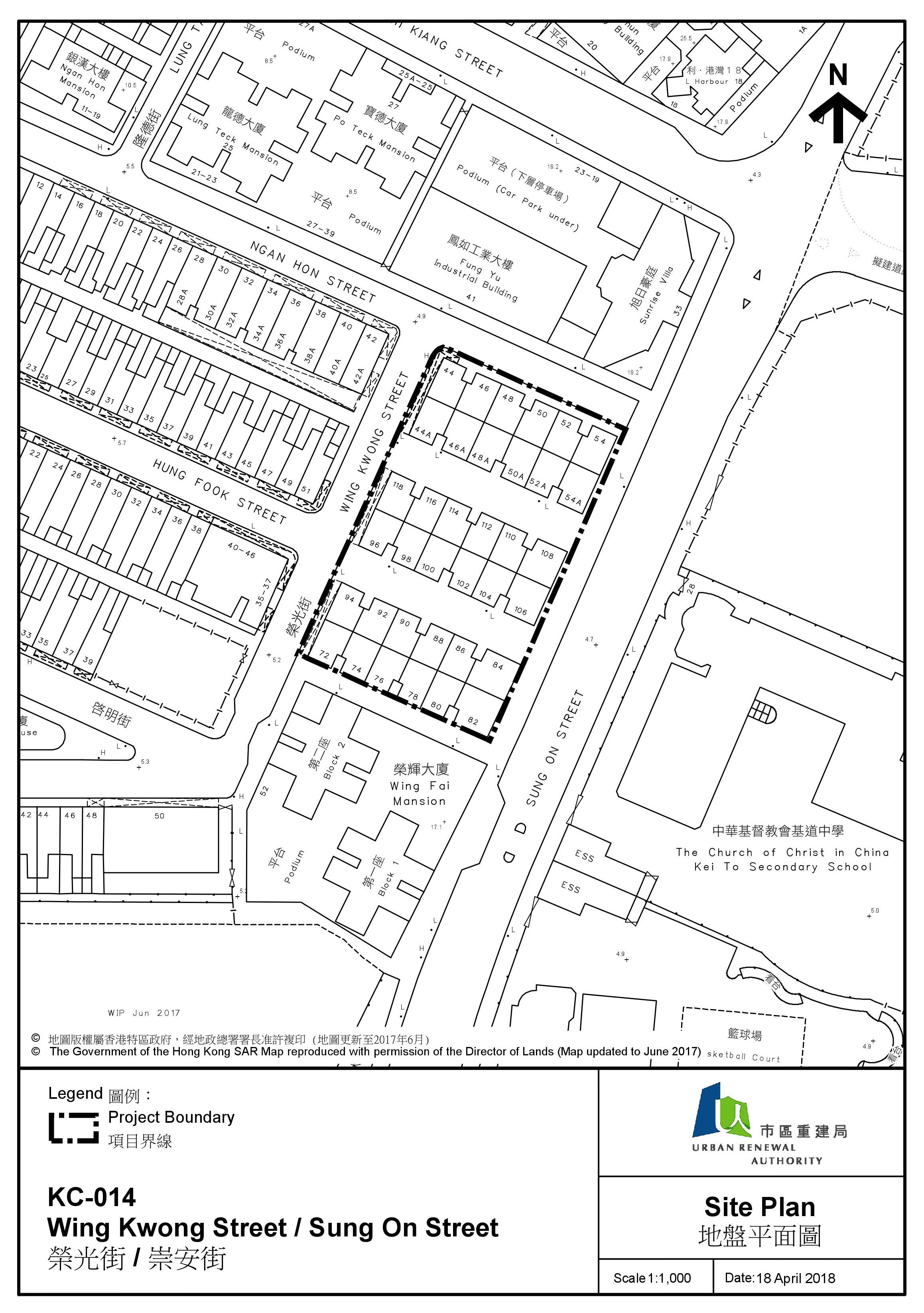
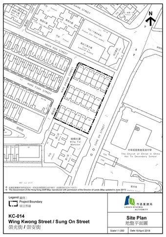
榮光街/崇安街發展項目的界線圖
榮光街/崇安街發展項目的界線圖

市建局啟動九龍城一個新重建項目 進一步優化地區環境

市區重建局(市建局)今天(星期五)啟動九龍城榮光街/崇安街發展項目(KC-014)的法定規劃程序,該項目將貫徹市建局在該區以全面及小區發展模式進行的市區更新工作,並以規劃為主導,進一步優化地區的交通網絡和步行環境,以期透過重新規劃,發揮更大的社區裨益。

項目位於銀漢街44號至54號A(雙數)和榮光街72號 至 118號(雙數),毗鄰市建局自2016年以「小區發展」模式展開的五個九龍城重建項目。項目地盤總面積約3,020平方米,範圍內的樓宇建於1958至1961年,樓高約8層,沒有電梯,樓宇欠缺維修和保養,部份天台亦有僭建物。

市建局總監(規劃及設計)區俊豪在今早的新聞簡報會上,簡述KC-014項目及整個小區發展模式時表示,KC-014項目將與區內早前開展的五個重建項目產生協同效應,令整個小區的重整及規劃更完整及一體化,進一步提升「小區發展」模式所帶來的社區裨益。

市建局自2016年開始以「小區發展」模式,在該區開展了整體的規劃策略,包括建議提供一條由環安街延伸,貫通多個重建項目至銀漢街的新通道,形成新的道路網絡,加強南北方向的連接;另外,於鴻福街/銀漢街發展計劃(KC-010)提供一個地下社區停車場,供該小區附近發展包括是次開展的KC-014項目使用,以減少各發展項目各自設置獨立停車場出入口的需要,提升行人安全之餘,亦騰出臨街空間作小街小舖,加強區內街道活力。

區俊豪說:「加入KC-014項目後,令整個項目群連同項目之間的街道更一體化,形成小區的核心。雖然街道並不屬項目範圍,但市建局期望透過融合市區更新另一個『R』-活化(Revitalisation)策略,美化該小區的行人街道,擴闊行人道,改善步行環境。因此,市建局初步構思在庇利街/榮光街發展項目(KC-009)加入地下公眾停車場,減低該小區路邊泊車的需要,從而釋放更多空間擴闊行人道,或進行美化與綠化,優化城市景觀。市建局現時仍與相關政府部門商討有關建議。」

區俊豪補充,在「小區發展」模式加上融合市區更新策略下,市建局期望重新規劃一個有活力及安全的「好行小區」。

市建局在2016至2017年,在九龍城區開展了五個項目,分別位於庇利街/榮光街(KC-009)、鴻福街/銀漢街(KC-010)、鴻福街/啟明街(KC-011)、榮光街(KC-012)和啟明街/榮光街(KC-013),加上2013年12月開展的啟明街的「需求主導」重建項目(DL-8:KC)及今次KC-014項目,這七個項目將構成小社區,地盤總面積約22,200平方米。

KC-014項目將按照《市區重建局條例》第26條以發展項目形式進行。市建局初步建議在地盤內提供約21,430 平方米的住宅樓面面積,可建約560個住宅單位。項目亦會提供約4,280平方米的商業/零售樓面面積。

按照《市區重建局條例》,今日出版的政府憲報刊載了市建局的公告,宣布啟動這個發展項目。

由今天開始,按照《市區重建局條例》,在未來兩個月的公布期內,市民可於下列地點,查閱項目的土地界線圖則及一般資料:

  • 市建局總辦事處:香港中環皇后大道中183號中遠大廈26樓;
  • 市區重建局九龍城地區辦事處:九龍紅磡崇安街17號陽光廣場1樓K及L室;及
  • 九龍城民政事務處諮詢服務中心:九龍紅磡庇利街42號九龍城政府合署低層地下。

有關資料亦刊載於市建局網頁(www.ura.org.hk)。

根據市區重建策略規定,市建局將根據《市區重建局條例》第24(3)條呈交第一階段及第二階段的社會影響評估。第一階段的社會影響評估報告將於2018年6月22日至2018年8月22日存放於上述地點及市建局網頁供公眾參閱。而第二階段的社會影響評估報告將於2018年8月8日至2018年8月22日存放於上述地點及市建局網頁供公眾參閱。公眾可就該兩份社會影響評估報告提出意見,任何打算提出意見的人亦宜詳閱指引,並須不遲於2018年8月22日將意見提交市建局。

市建局收購及遷置總經理譚建強在簡報會上指出,若上述項目最終獲得發展局局長批准,市建局會根據屆時的政策,展開物業收購工作和補償/安置符合資格的租客。

項目涉及307個業權,估計重建範圍內居住了約500戶家庭及約有50間地下商舖。約170名市建局職員今日起在項目範圍內的樓宇進行凍結人口調查,以確定住戶數目和了解樓宇的使用狀況。 

市建局會舉行一連串的簡報會,向受影響的業主和租客講解規劃審批程序,以及現行的物業收購和補償安排。由市區更新基金聘請的救世軍市區重建社區服務隊將會為有需要的居民,提供適切的幫助和輔導。社工隊的聯絡電話是 3188 2151。受影響居民亦可以親臨市建局九龍城區的地區辦事處或致電市建局熱線電話(2588 2333)查詢。市民可瀏覽市建局網頁(www.ura.org.hk),了解項目有關資料。

(完)