跳到主要内容
新闻发布
市建局总监(收购及迁置)黄伟权(左)及市建局总监(规划及设计)马昭智(右)在简介会上介绍第二轮「需求主导」先导计划首两个重建项目
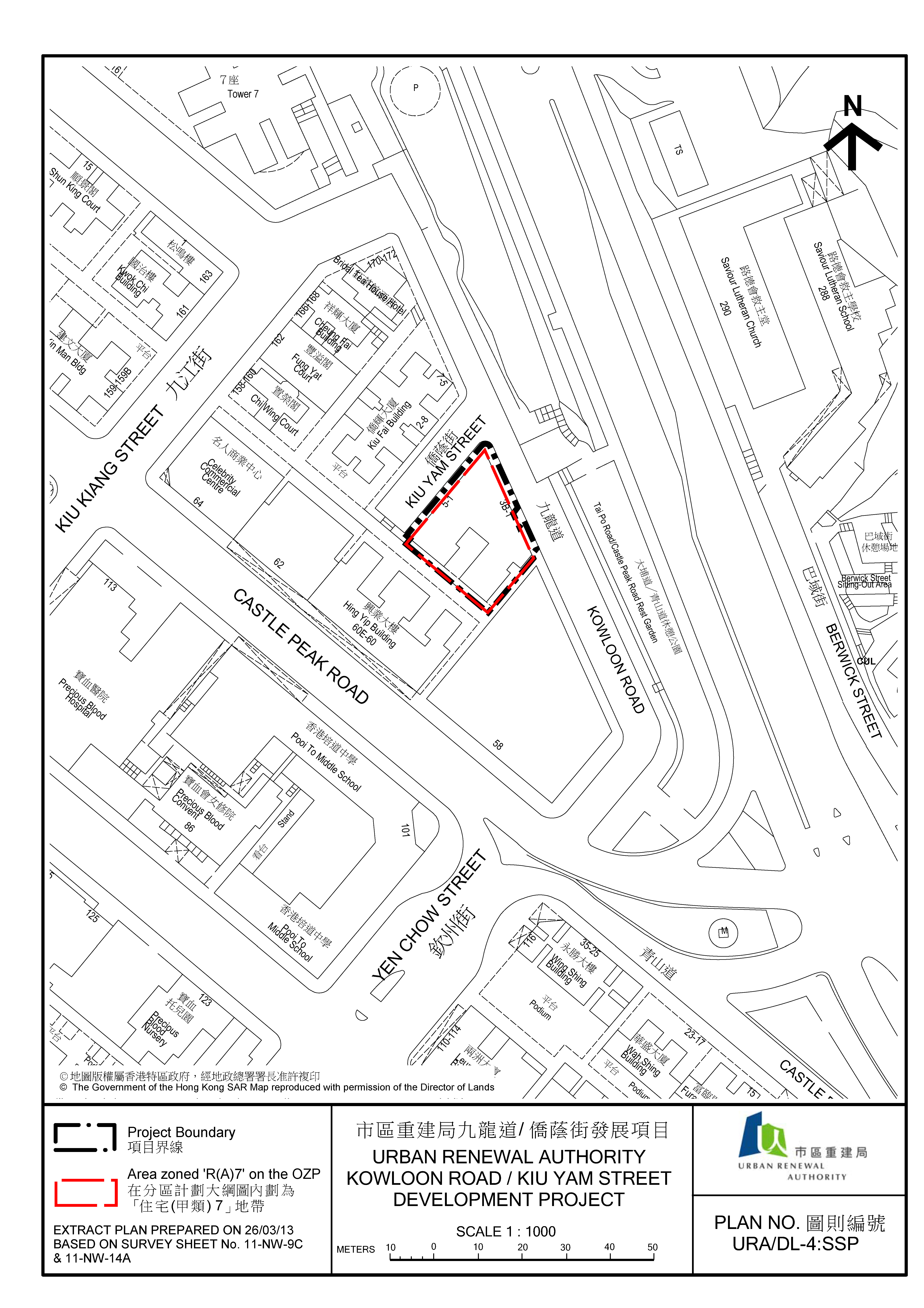
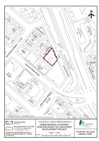
深水埗九龙道/侨荫街「需求主导」重建项目界线图
深水埗九龙道/侨荫街「需求主导」重建项目界线图
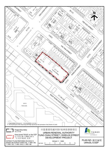
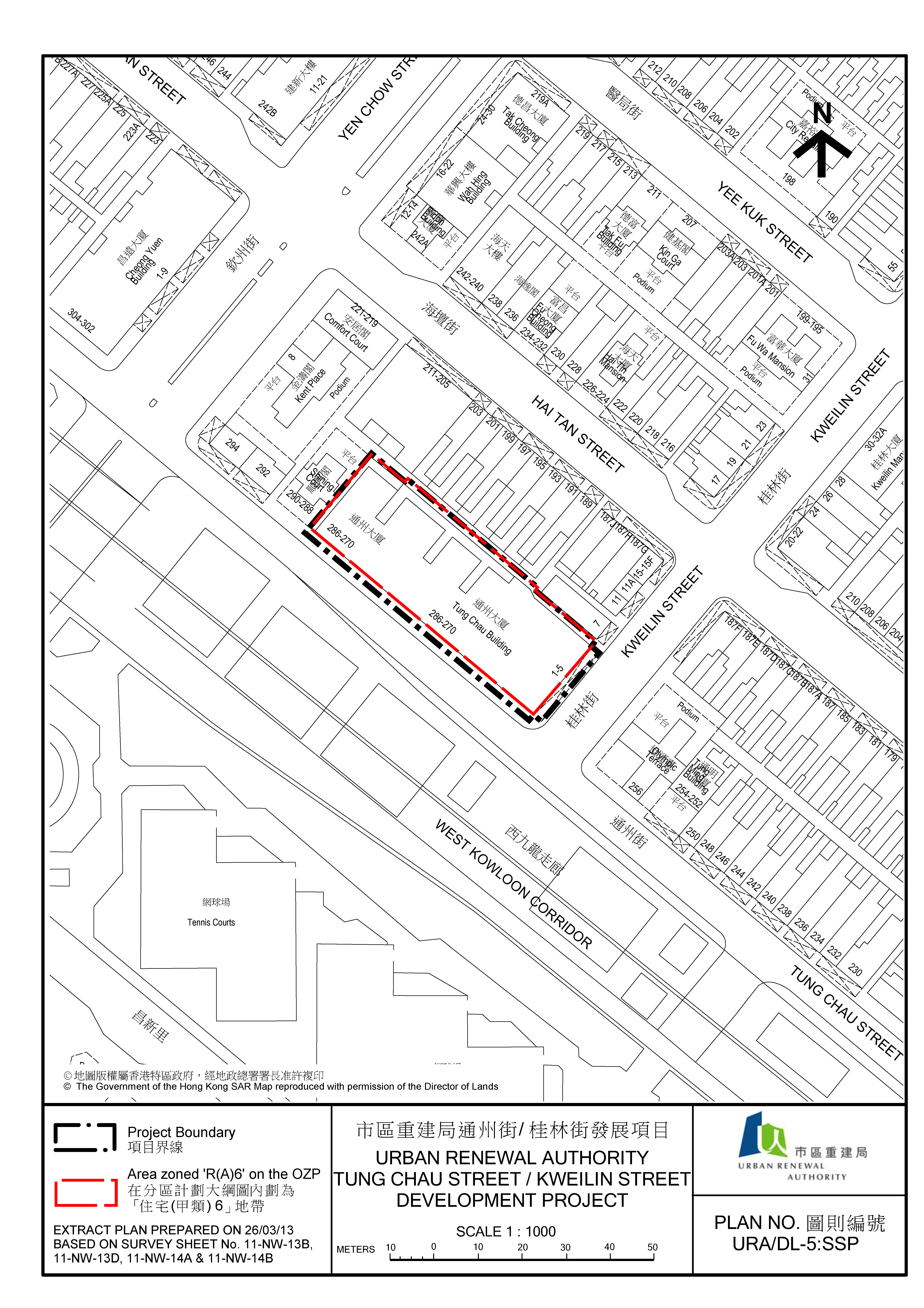
深水埗通州街/桂林街「需求主导」重建项目界线图
深水埗通州街/桂林街「需求主导」重建项目界线图

市建局启动第二轮「需求主导」先导计划首两个重建项目

市区重建局(市建局)今日(星期五)启动第二轮「需求主导」先导计划首两个重建项目的法定规划程序。该两个项目为四个已被挑选纳入市建局2013/2014业务计划内的首批公布项目,其余两个「需求主导」项目预计未来数个月内展开。

市建局总监(规划及设计)马昭智在今早的新闻简报会上表示,「需求主导」重建模式给予业主主动提出重建其物业的机会,受到业主热烈欢迎,市建局在第二轮申请共收到34份申请书。

马昭智说:「市建局收到的申请当中,选取四个完全符合「需求主导」计划先决条件的项目,纳入市建局2013/2014业务计划内,并得到财政司司长批准。」

首两个被挑选的项目分别位于 深水埗通州街270-286号/桂林街1-5号 及 九龙道1-3B号/侨荫街1-5号,地盘面积合共约2,200平方米,连同市建局在深水埗区已开展的重建项目,至今共达19个。

马昭智指出,虽然市建局今日开展该两个项目的法定规划程序及进行冻结人口调查,该两个项目能否再进一步落实进行,须视乎是否符合以下两个必要条件: 

  1. 在市建局发出有条件收购建议日期起计的七十五天内,申请地盘内每个重建地段,都必须有不少于百分之八十不可分割份数业权的业主接受市建局的有条件收购建议并且签署相关买卖合约;及
     
  2. 项目获得发展局局长授权市建局着手进行。

马昭智补充说,如上述两个条件均未能在指定时间内达成,项目便会自动终止。

他说:「届时,不论项目申请楼宇内的业主、租户及占用人是否于冻结人口调查时居住于项目楼宇内,市建局与上述人士均无任何权利和义务关系。」

马昭智指出,两个「需求主导」重建项目均达到申请地盘内每一个地段的业权份数67%的门槛,地盘面积超过400平方米,并可以在规划上裨益社区。另外,有关楼宇的状况属于失修或明显失修及并不符合经济效益进行复修。

他强调财政可行性并不是甄选有关项目的主要考虑因素。

马昭智亦分析了其余未获挑选的申请的原因。「其中部分项目的申请业主未达到地盘内每一个地段业权份数的67%门槛。至于其他申请项目,有些因地盘面积太细,未能在规划上为社区带来裨益,或是因为楼宇状况尚可而未被纳入。」

今日启动的两个「需求主导」项目,涉及总业权数目251个。如项目得以落实,可以为大约420户现时居住在楼龄约50年的楼宇的家庭,改善生活环境。

按照《市区重建局条例》第23条,今日出版的政府宪报刊载市建局的公告,宣布启动这两个项目,并展开两个月的咨询。市建局将会详细考虑于公布期内收到的书面反对意见,并在为期两个月的公布期完结后三个月内,向发展局局长提出批准申请这两个项目。

市建局总监(收购及迁置)黄伟权在简报会上说,约140多名市建局职员今日在两个项目范围内的楼宇进行冻结人口调查,以确定住户数目和了解楼宇的使用状况。

市建局会在短期内举行简报会,向受影响的业主和租客讲解规划审批程序,以及现行「需求主导」重建项目的物业收购和补偿安排。

黄伟权说:「当项目的两个月公布期完结后,我们会尽快向两个项目的业主提出『有条件收购建议』。有关收购建议将有效75日。」

「如项目的『有条件收购建议』获不少于8成业权的业主接纳和获得发展局局长批准进行,市建局便会与业主完成收购程序,并向项目内的自住业主提出『楼换楼』建议。否则,项目便会终止。」

市建局初步建议在两个项目内,提供合共约270个中小型单位,包括一些预留作「楼换楼」选择之用的低层单位,项目预计可在2019/2020年完成。

两个项目的总发展成本,以目前价格初步计算,估计约为23亿元。

在未来两个月,市民可于下列地点,查阅两个新重建项目的土地界线图则及一般资料。

  • 市建局总办事处:香港中环皇后大道中183号中远大厦26楼
  • 市建局深水埗地区办事处:九龙深水埗福华街182号C铺地下
  • 市建一站通:九龙大角咀福全街6号
  • 深水埗民政事务处咨询服务中心:九龙长沙湾道303号长沙湾政府合署地下 

有关资料亦刊载于市建局网页(www.ura.org.hk)。

根据《市区重建策略》,市建局会就项目进行第一阶段社会影响评估研究,并由2013年4月12日起开始将报告存放于上述地点供公众查阅。而第二阶段的社会影响评估研究报告,则将会在2013年5月30日起存放于上述地点供公众查阅。

由市区更新基金有限公司聘请的救世军市区重建社区服务队将会为有需要的居民,提供适切的帮助和辅导。社工队的联络电话是3586 3094 / 3586 3095。居民亦可以亲临市建局深水埗地区办事处或致电市建局热线电话(2588 2333)查询。市民可浏览市建局网页(www.ura.org.hk),了解项目有关资料。

马昭智补充说,下一轮的「需求主导」项目将于第二批「需求主导」重建项目开展后,大约会在今年年中左右接受申请。

(完)