跳到主要内容
新闻发布
市建局总监(规划及设计)马昭智(中)、市建局总监(收购及迁置)黄伟权(左)及市建局助理总经理(规划及设计)黄知文(右)在记者会上介绍春田街/崇志街发展计划[KC-008(A)]的详情。
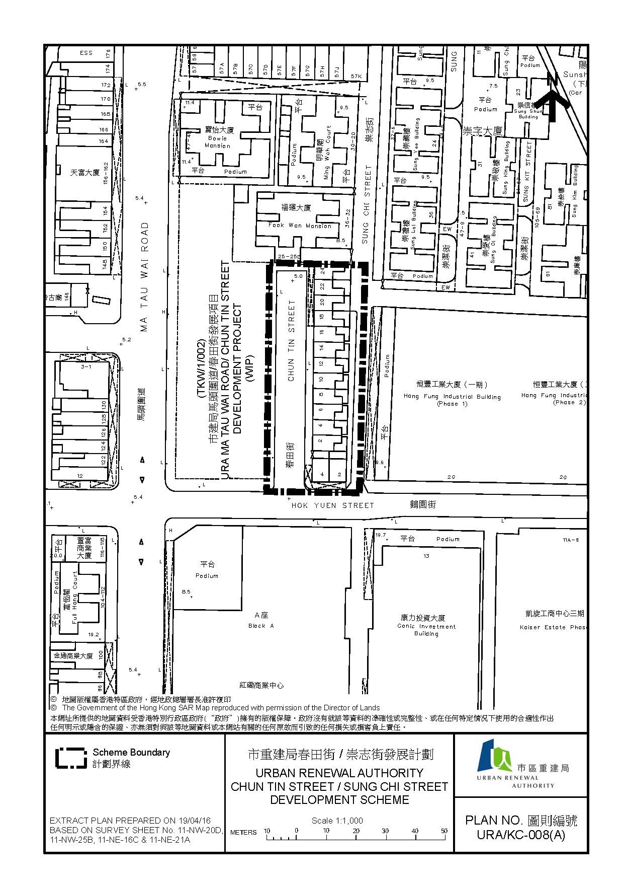
春田街/崇志街发展计划[KC-008(A)]的界线图。
春田街/崇志街发展计划[KC-008(A)]的界线图。

市建局开展春田街/崇志街发展计划提升规划和社区裨益

市区重建局(市建局)今日(星期五)开展九龙城春田街/崇志街发展计划 KC-008(A) 的法定规划程序。项目位于春田街2至24号(双数)、鹤园街2至4号(双数)及春田街,并将根据《市区重建局条例》第25条以发展计划方式实施。

同时,市建局宣告决定撤回于去年1月启动,覆盖相同楼宇的春田街/崇志街发展项目(KC-008),KC-008项目亦即时中止。撤回KC-008项目的决定于今日的宪报刊登。

市建局总监(规划及设计)马昭智在今早新闻简报会上表示,将春田街纳入KC-008(A) 项目范围有助提升该处重建的规划及社区裨益。市建局建议将春田街纳入发展计划,目的是改善当区道路安排和行人环境。目前春田街的掘头路是造成环境滋扰的原因,导致区内交通挤塞和安全问题。发展计划建议提供一个符合标准的车辆回旋处供公众使用,附近的崇志街亦会扩阔以提供双线行车道,改善交通流及行人安全。

马昭智说:「这个发展计划会为当区带来不少规划及社区裨益,其中行人环境将显著改善,令社区受惠。整体设计方面,该发展计划与毗邻马头围项目的融合会达到更佳效果。」

按照《市区重建局条例》第23条,今日出版的政府宪报刊载了市建局的公告,宣布启动这个发展计划。市建局将于短期内向城市规划委员会(城规会)提交发展计划图的草图,包括第一阶段社会影响评估,并将会供公众查阅。第二阶段的社会影响评估报告亦会于稍后提交城规会及供公众查阅。如城规会经考虑后根据《城市规划条例》认为发展计划图的草图适宜公布,城规会将展示以供公众查阅,为期2个月。期间,任何人士可就草图向城规会作出书面申述。发展计划图的草图连同所有申述须经由城规会呈交行政长官会同行政会议核准。

发展计划的地盘总面积约2,475平方米。地盘内有14个街号的楼宇建于1955至1957年间,楼高4至6层,楼宇状况普遍失修,有劏房,天台及后巷亦有僭建物,居住环境不理想。

市建局初步建议在发展计划内提供约12,270平方米的住宅楼面面积,可建约310个住宅单位 (主要为中小型单位),包括一些预留作「楼换楼」选择之用的低层单位。项目亦会提供约2,454平方米的商业/零售楼面面积。项目预计可在2025/2026年完成。

整个项目的总发展成本,以目前价格初步计算,估计约为17亿5千万元。

市建局收购及迁置总监黄伟权在简报会上指出,市建局已为受发展计划影响的业主和租户制订了一套一次性特别措施,并已获市建局董事会批准。黄伟权强调,有关特别措施是考虑到项目的独特情况,并不会成为市建局已开展或未来项目的先例。

市建局今日在项目范围内的楼宇进行冻结人口调查,以确定最新的住户数目。项目涉及70个业权,重建范围内居住了约85户家庭及有约15个地铺商户。

由今日起至2016年7月6日,市民可于下列地点,查阅上述发展计划的土地界线图则及一般资料:

  • 市建局总办事处:香港中环皇后大道中183号中远大厦26楼;
  • 市建局马头围地区办事处:九龙土瓜湾马头围道426-430号美善阁地下A铺;及
  • 九龙城民政事务处咨询服务中心:九龙红磡庇利街42号九龙城政府合署低层地下。

市建局将于明日起举行简报会,向受影响的业主和租客讲解规划审批程序,以及发展计划下的特别措施。

由市区更新基金聘请的基督教家庭服务中心社工队将会为有需要的居民,提供适切的帮助和辅导。社工队的联络电话是 2110 9745。居民亦可以亲临市建局马头围区的地区办事处或致电市建局热线电话(2588 2333)查询。市民可浏览市建局网页(www.ura.org.hk),了解项目有关资料。

(完)