跳到主要内容
新闻发布
市建局公布启动皇后大道西/桂香街发展项目。
市建局总经理(规划及设计)关以辉(右)及市建局总经理(收购及迁置)唐溢雯(左)在记者会上介绍中西区皇后大道西/桂香街发展项目的详情。
市建局总经理(规划及设计)关以辉(右)及市建局总经理(收购及迁置)唐溢雯(左)在记者会上介绍中西区皇后大道西/桂香街发展项目的详情。
皇后大道西/桂香街发展项目(C&W-007)的现貌
皇后大道西/桂香街发展项目(C&W-007)的现貌
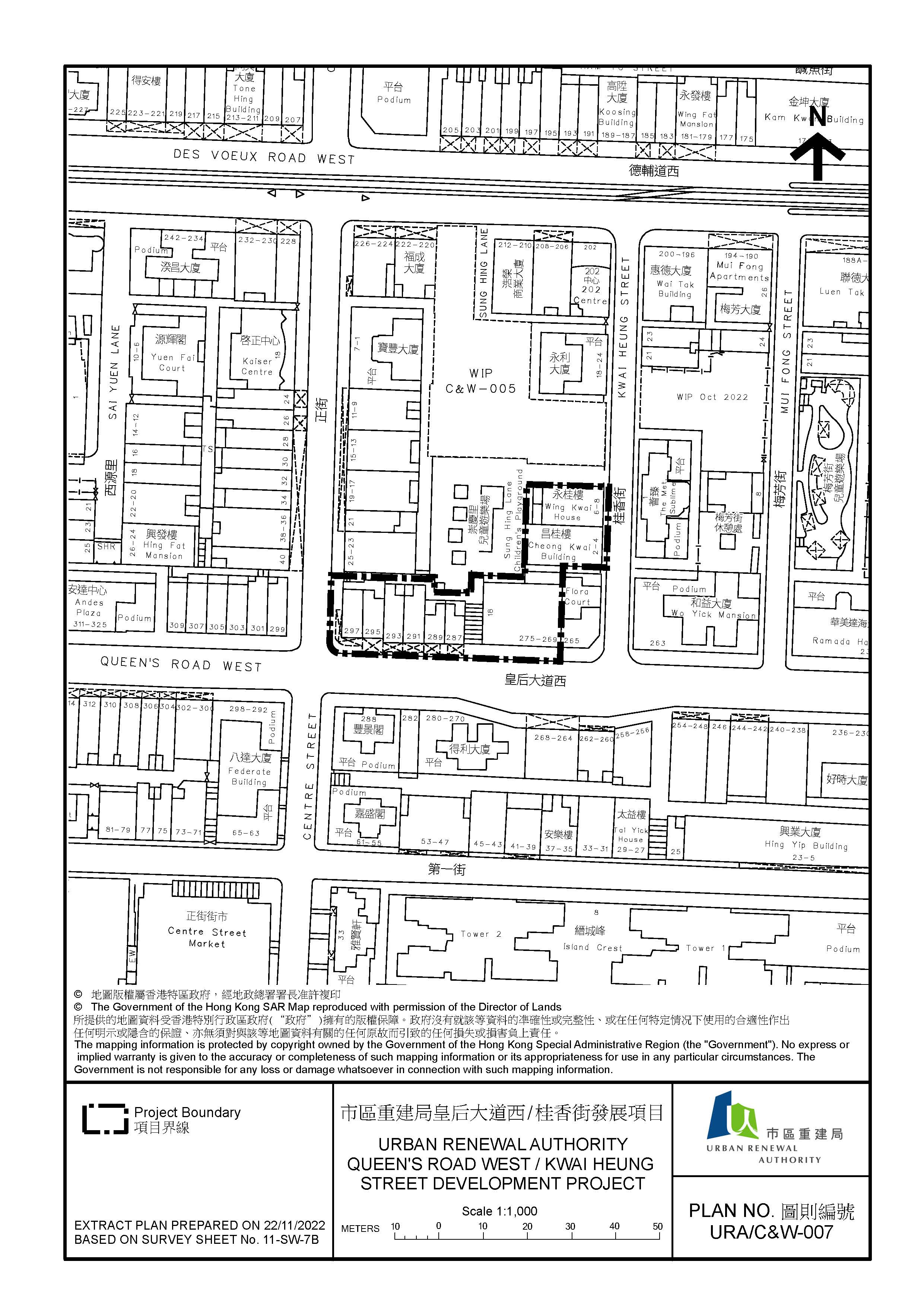
融合策略下的重建及活化范围
融合策略下的重建及活化范围
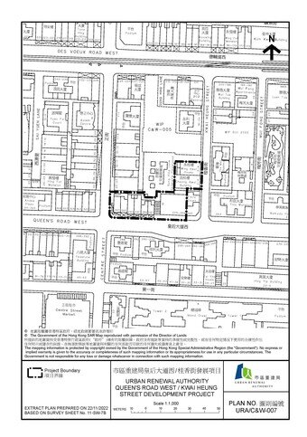
皇后大道西/桂香街发展项目(C&W-007)的界线图
皇后大道西/桂香街发展项目(C&W-007)的界线图

市建局启动中西区新重建项目 融合重建活化策略 更新旧区

市区重建局(市建局)今天(2022年12月2日)开展中西区皇后大道西/桂香街发展项目(C&W-007),并启动相关的法定规划程序。

市建局按2011年《市区重建策略》罗列的目标开展C&W-007项目,除将破旧失修的楼宇重建为符合现代标准的新式楼宇外,亦进一步改善区内休憩空间的连接性和步行环境,同时美化整体城市景观,更新该区已建设环境。

C&W-007项目内共有15个街号的楼宇,平均楼龄60年,楼高4至6层及无电梯设施,楼宇状况普遍失修,范围内估计居住约100户家庭及20间地铺。本项目和崇庆里/桂香街发展项目(C&W-005)皆毗邻崇庆里儿童游乐场,惟游乐场现时被周边的楼宇包围,位置隐蔽。

市建局总经理(规划及设计)关以辉在今天的新闻简报会上表示:「市建局近年在中西区依据『规划主导、地区为本』的策略进行市区更新,包括已於2022年8月批出合作发展协议的C&W-005项目,以及正在审议标书的皇后大道西/贤居里发展计划(C&W-006),透过重整该区的土地用途和布局,改善居住环境,同时提升地区设施及优化行人连接。

C&W-007项目将应用「融合策略」,揉合重建、复修及活化等市区更新模式,改善旧区居民生活,并提升休憩设施水平和步行环境;同时,在规划层面,与毗邻市建局早前已开展的C&W-005项目,发挥协同效应,令整个街区的重整更完整,为社区带来更大的裨益。」

C&W-005项目将首先提升德辅道西及桂香街进入崇庆里儿童游乐场的通达性;然后透过开展C&W-007项目,扩阔从皇后大道西进入游乐场的入口,让有关设施更为公众善用。

此外,C&W-005和C&W-007两个项目亦将各自提供约150平方米的地面空间,作为休憩用地,规划作优质的步行空间。游乐场及两个重建项目的休憩空间将融合为一个面积约1,000平方米的一体化绿化休憩及康乐设施,较现时相关设施面积增加超过四成。另一方面,市建局亦会提升崇庆里儿童游乐场的设施标准,令其更能满足市民的需要。

市建局亦将联络两个重建项目毗邻的大厦业主,探讨从财政资助、技术支援等多方面,鼓励他们透过楼宇复修改善其楼宇状况。与此同时,市建局将研究美化附近街道、大厦外墙等措施的可行性,以融入活化后的城市景观,促进新旧建设环境的融合。

C&W-007项目已按照《市区重建局条例》,在今天出版的政府宪报内的市建局公告中宣布启动。市建局初步建议在地盘内提供约8,950平方米的住宅楼面面积,可建约180个住宅单位。新发展内将提供约150平方米非住用楼面面积作政府、机构或社区设施用途,以及约1,000平方米的商业/零售楼面面积。

此项目将於今天开始两个月的公布期,供公众查阅该项目的土地界线图则、一般资料及市建局就C&W-007项目拟备的第一阶段社会影响评估报告。第二阶段的社会影响评估报告,则拟於2023年1月19日起供公众查阅,直至2023年2月2日止,详情载於政府宪报的公告内。

市建局职员今天起在项目范围内的楼宇进行冻结人口调查,以确定受影响居民的数目和了解楼宇的使用状况。市建局总经理(收购及迁置)唐溢雯在简报会上指出,C&W-007项目涉及约80个业权,若项目最终获得发展局局长授权,市建局会根据届时的政策及参考受影响物业在冻结人口调查日的占用情况,向项目内的业主提出收购建议和安置符合资格的租客。

唐溢雯表示,市建局将透过不同途径,包括简报会,政策简章及「醒目锦囊」,以及由专责职员亲身解说等,提醒业主,他们所获得的津贴将参照冻结人口调查的纪录厘定,而不会因为他们在有关调查后改变其物业占用状况,例如将物业从现时租户收回自用、由出租转为空置或从现时租户收回单位并出租给新租客,而获得更多的津贴。

倘若市建局在成功收购物业前有租客被业主迫迁,市建局亦会因应租客的需要,采取多项措施灵活地为他们提供协助,包括协调租客与业主之间可能出现的租务纠纷,以及透过「住宅租客体恤援助计划」协助他们。

此项目的规划程序预计最长需要12个月完成,视乎市建局按《市区重建局条例》安排的上诉程序是否已全部完成,市建局大约在2024年上半年向项目业主发出收购建议。如市建局未能收购本项目内的所有物业权益,但考虑到须尽快实现该项目为整体社区带来的上述裨益,市建局可按照《市区重建局条例》,在该项目获发展局局长(局长)授权后不超过 12 个月内,就该项目向局长提出收地申请。局长将根据《市区重建局条例》考虑收地申请,以决定应否向行政长官会同行政会议作出建议,根据《收回土地条例》收回该计划范围内的任何土地,以便让市建局展开重建工作。

鉴於社交距离措施仍在实施当中,市建局在是次项目进行的冻结人口调查前将采取一系列加强防疫措施,包括在职员进入物业调查前,把有效的「电子针卡」储存在其智能手机的市建局「健康码4.0」流动应用程式内,向住户及商户展示。

而在项目启动后,市建局将透过网上视频平台直播公众简报会,讲解规划审批程序、现行的物业收购和补偿安排,并解答提问。此外,市建局专责个案主任亦将接触项目内的居民和商户,解释收购政策及项目的执行安排和时间表,以及最新进展。

由市区更新基金聘请的圣雅各福群会市区重建社区服务队,亦会为这个项目有需要的业主及居民,提供适切的帮助和辅导。社工队的电话为2760 7301。居民亦可以亲临市建局总办事处或致电市建局热线电话2588 2333,查询项目有关资料,或浏览市建局网页(http://www.ura.org.hk)。

 

附录:重建项目的详情及拟建的发展参数

项目位置

皇后大道西269至275号及287至297号(单数)、桂香街2至8号(双数)、崇庆里18号

总地盘面积

约1,300平方米

受影响楼宇

涉及 15 个街号 (平均楼龄60年)

受影响业权*

约80个

受影响住户*

约100个

受影响地铺*

约20间

拟建的项目发展内容 **

住宅楼面面积

约8,950平方米

住宅单位

约 180 个中小型住宅单位

(平均建筑面积约 500 平方尺)

政府、机构或社区设施

约150平方米 (视乎政府部门最终决定)

公众休憩用地

约150平方米

商业/零售楼面面积

约1,000平方米

估计完工年期

2031/32年

* 估计数字视乎冻结人口调查结果

**视乎日后建筑设计

 

(完)