跳到主要内容
新闻发布
市建局公布启动马头围道 / 落山道发展项目
市建局总经理(规划及设计)关以辉(右)及市建局总经理(收购及迁置)唐溢雯(左)在新闻简报会上介绍九龙城区马头围道/落山道发展项目的详情。
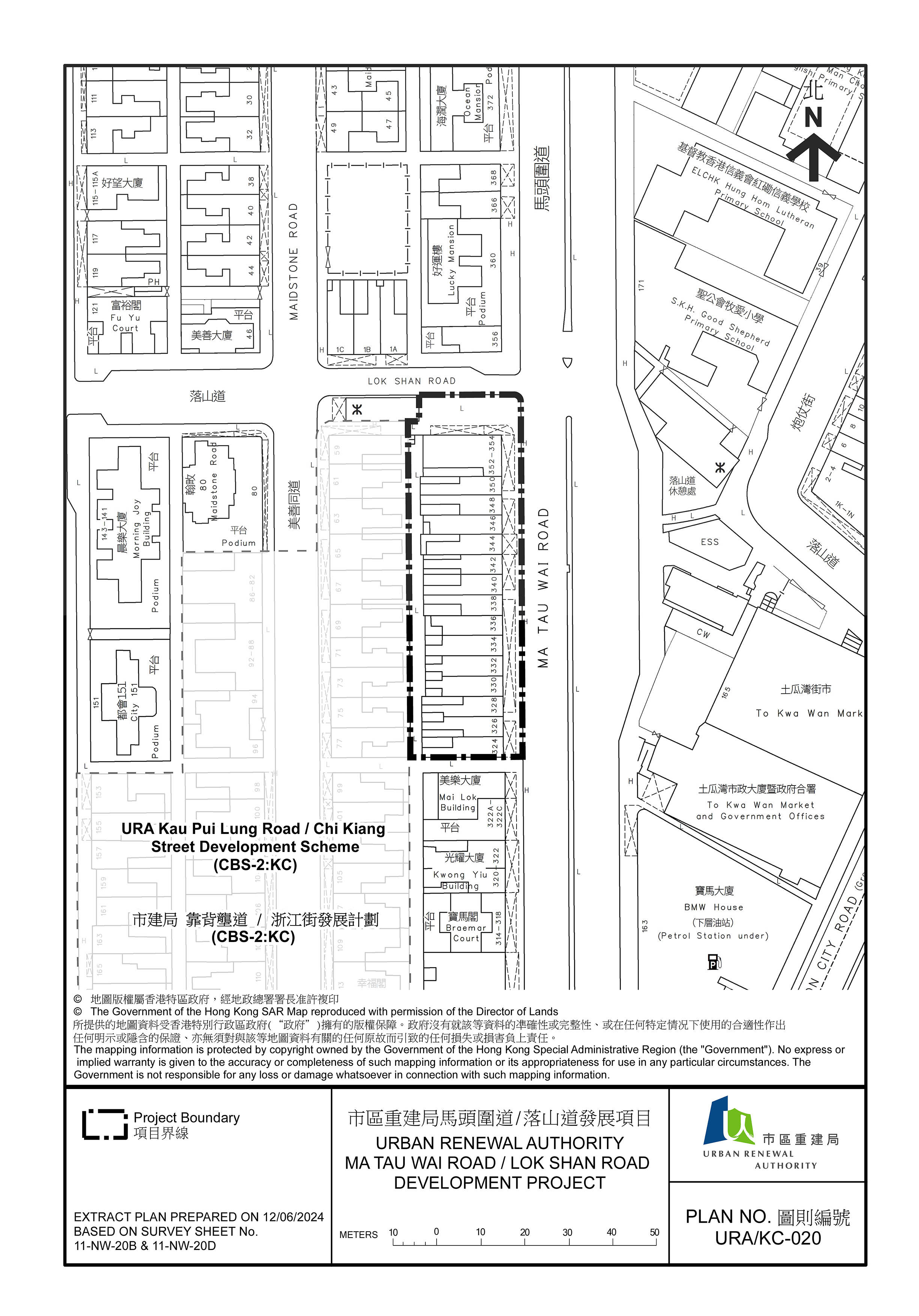
马头围道/落山道发展项目的界线图
马头围道/落山道发展项目的界线图
马头围道/落山道发展项目的现貌
马头围道/落山道发展项目的现貌
整体规划下开展的重建项目
整体规划下开展的重建项目

市建局启动九龙城区重建项目 配合毗邻已核准发展计划作整体规划 加强规划裨益

市区重建局(市建局)今日(2024年8月9日) 开展九龙城区马头围道/落山道发展项目(KC-020),并启动相关的法定规划程序。KC-020项目毗邻已核准的靠背垄道/浙江街发展计划(CBS-2:KC),两个项目将一并进行整体规划及设计,发挥协同效应,为该区带来更大的规划裨益。

市建局总经理(规划及设计)关以辉在今天的新闻简报会上表示:「KC-020项目是按照2011年《市区重建策略》罗列的目标进行,透过与毗邻的公务员建屋合作社楼宇重建试点项目CBS-2:KC计划一并重整及重新规划,创造更大规划裨益,包括进一步提升该区的行人连接性和改善步行环境,同时优化整体城市环境及景观。市建局采取『规划主导、地区为本』的市区更新模式,在2020年开展CBS-2:KC计划时,已研究整合KC-020项目范围作一体化规划的可行性,使两个项目未来有机会合并发展,发挥协同效应。」

KC-020项目在设计上将融合CBS-2:KC计划的拟议休憩用地/地面步行街,并与CBS-2:KC计划的地面空间连接,以提升景观及行人环境。此外,重整后的KC-020项目范围亦会透过现时马头围道的行人过路设施及CBS-2:KC计划,进一步加强马头围道东边的落山道休憩处及土瓜湾市政大厦、街市等政府、机构或社区用地等公共设施与西边的乐民新村一带的住宅群的连接性。视乎进一步技术可行性研究,KC-020项目将延伸CBS-2:KC计划所建议的地下购物街至该项目范围内,并连接土瓜湾港铁站出口。同时, KC-020项目亦建议与CBS-2:KC计划共用一个车辆出入口,以减少车辆出入对行人的影响,并保持临街店铺的连贯性及街道活力。

根据初步概念设计,KC-020项目将为整合后的市区更新项目额外提供约11,830平方米的住宅楼面面积、约2,360平方米的商业 / 零售设施,以及附属停车场。重建后,两个项目将合共为该区提供约135,600 平方米的住宅楼面面积作符合现代标准的新式楼宇,改善该区整体生活环境。

KC-020项目已按照《市区重建局条例》,在今天出版的政府宪报内的市建局公告中宣布启动。此项目将於今天开始两个月的公布期,供公众查阅该项目的土地界线图则、一般资料及市建局就KC-020项目拟备的第一阶段社会影响评估报告;第二阶段的社会影响评估报告,则拟於2024年9月25日起供公众查阅,直至2024年10月9日止,详情载於政府宪报的公告内。

市建局职员今天起在项目范围内的楼宇进行冻结人口调查,以确定受影响居民的数目和了解楼宇的使用状况。市建局总经理(收购及迁置)唐溢雯在简报会上表示,KC-020项目涉及约110个业权;若项目最终获得发展局局长授权,市建局会根据届时的政策及参考受影响物业在冻结人口调查日的占用情况,向项目内的业主提出收购建议和安置符合资格的租客。

唐溢雯表示,市建局将透过不同途径,包括简报会,政策简章及「醒目锦囊」,以及由专责职员亲身解说等,向业主、住户及商户提供协助及支援,以释除因公布重建项目而引致的疑虑。此外,市建局亦会提醒业主,他们所获得的津贴将参照冻结人口调查的纪录厘定,而不会因为他们在有关调查后改变其物业占用状况,例如将物业从现时租户收回自用、由出租转为空置、或从现时租户收回单位并出租给新租客,而获得更多的津贴。

在项目启动后,市建局将举行公众简报会,讲解规划审批程序、现行的物业收购和补偿安排,并解答提问。此外,市建局专责个案主任亦将接触项目内的居民和商户,解释物业收购及安置补偿等政策,以及项目执行的时间表。

由市区更新基金聘请的救世军市区重建社区服务队,亦会为这个项目有需要的业主及居民,提供适切的帮助和辅导。社工队的电话为3188 2151。居民亦可以亲临市建局总办事处或致电市建局热线电话2588 2333,查询本项目有关资料,或浏览市建局网页(www.ura.org.hk)。


附录:KC-020项目详情

项目位置

马头围道324至354号(双数)

总地盘面积

约2,120平方米

受影响业权*

约110个

受影响住户*

约180户

受影响地铺*

约20间

* 估计数字视乎冻结人口调查结果
 

(完)