跳到主要内容
新闻发布
市建局执行董事(商务)马昭智(中)、市建局总经理(收购及迁置)钟建强(左)及市建局助理总经理(规划及设计)关以辉(右)在记者会上介绍启明街/荣光街发展项目的详情。
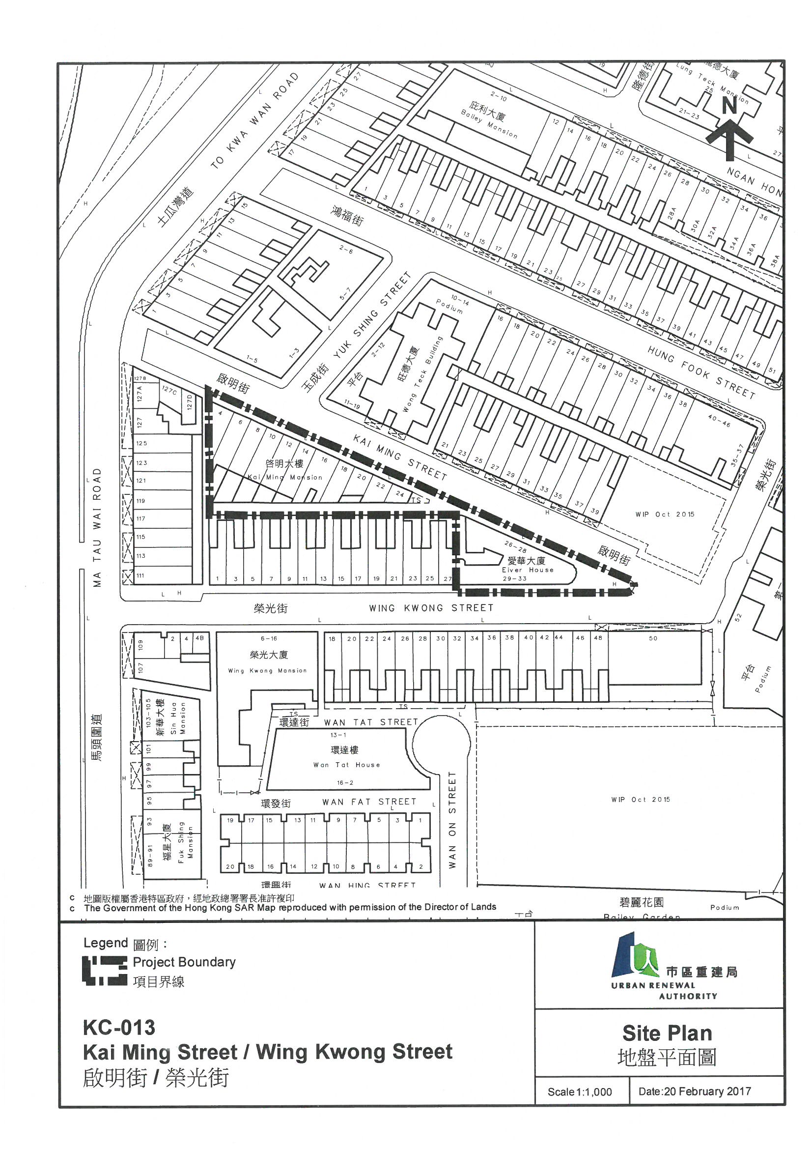
启明街/荣光街发展项目的界线图
启明街/荣光街发展项目的界线图
启明街/荣光街项目的现貌
启明街/荣光街项目的现貌
启明街/荣光街项目的现貌
启明街/荣光街项目的现貌

市建局启动九龙城区一个新重建项目 以达致更大规划及社区裨益

市区重建局(市建局)今日(星期五)启动九龙城启明街/荣光街发展项目(KC-013)的法定规划程序,该项目为市建局去年在该区以全面及小区发展模式进行的市区更新工作发挥更大的规划和社区裨益。

项目位于启明街4 至 28 号(双数)和荣光街29 至 33号(单数),毗邻去年6月开展并于上星期五(3月10日)在宪报刊载发展局局长授权进行的荣光街项目(KC-012)。项目地盘总面积约1,750平方米,范围内的楼宇建于1958至1963年,楼高8层,没有电梯。楼宇状况属失修,并有劏房。

KC-013项目的规划及收购程序将会根据市建局的现行政策进行。当项目的收购及迁置程序完成后,市建局计划将KC-013项目与毗邻的KC-012项目合并发展,以达致整体重建方案。

市建局执行董事(商务)马昭智在新闻简报会上表示,两个项目合并发展有助达致市区更新的目标。透过重整及重新规划有关的市区范围,重新设计更有效的道路网络及令有关土地用途更有效益,以期为社区带来更大裨益,改善居民的生活环境。

市建局初步建议在合并发展的地盘内提供约18,600平方米的住宅楼面面积、约3,700平方米的商业/零售楼面面积,以及约300平方米的地面休憩空间供社区享用。

马昭智说:「合并发展KC-012及KC-013项目,将可提供一个契机让市建局重新设计及改善该范围心脏地带的道路网络。透过开辟一条新道路,改善车辆流通及可达性。」

市建局去年在九龙城区开展了四个项目,分别位于庇利街/荣光街(KC-009)、鸿福街/银汉街(KC-010)、鸿福街/启明街(KC-011)及荣光街(KC-012)。项目的规划包括一条由环安街延伸,贯穿该四个项目至银汉街的新道路,以改善该处的交通畅达性和行人连系。同时,KC-010项目将会提供一个地下社区停车场供该社区使用,避免个别发展项目的停车场出入口破坏街道的景观。

按照《市区重建局条例》第23条,今日出版的政府宪报刊载了市建局的公告,宣布启动这个发展项目。

由今日开始,按照《市区重建局条例》第23条,在未来两个月的公布期内,市民可于下列地点,查阅项目的土地界线图则及一般资料:

  • 市建局总办事处:香港中环皇后大道中183号中远大厦26楼;
  • 市建局马头围地区办事处:九龙土瓜湾马头围道426 - 430号美善阁地下A铺;及
  • 九龙城民政事务处咨询服务中心:九龙红磡庇利街42号九龙城政府合署低层地下。

根据《市区重建策略》,市建局会就项目进行第一阶段社会影响评估,并由今日(2017年3月17日) 起开始将报告存放于上述地点供公众查阅。第二阶段的社会影响评估报告,则将会在2017年5月2日起存放于上述地点供公众查阅。

市建局收购及迁置总经理钟建强在简报会上指出,市建局现行的住宅及非住宅物业收购政策,以及向合资格住宅租客提供的编配安置及特惠金发放政策适用于此项目。

项目涉及125个业权,估计重建范围内居住了约180户家庭及有约30间地下商铺。约100名市建局职员今日起在项目范围内的楼宇进行冻结人口调查,以确定住户数目和了解楼宇的使用状况。市建局会举行一连串的简报会,向受影响的业主和租客讲解规划审批程序,以及现行的物业收购和补偿安排。

由市区更新基金聘请的香港路德会社会服务处市区重建社区服务队将会为有需要的居民,提供适切的帮助和辅导。社工队的联络电话是 3596 6850。受影响居民亦可以亲临市建局马头围区的地区办事处或致电市建局热线电话(2588 2333)查询。市民可浏览市建局网页(www.ura.org.hk),了解项目有关资料。

(完)