跳到主要内容
新闻发布
市建局公布启动衙前围道 /贾炳达道发展计划
市建局总监(规划及设计)区俊豪(右)及市建局总经理(收购及迁置)钟建强(左)在记者会上介绍九龙城「龙城」区衙前围道 /贾炳达道发展计划的详情。
市建局总监(规划及设计)区俊豪(右)及市建局总经理(收购及迁置)钟建强(左)在记者会上介绍九龙城「龙城」区衙前围道 /贾炳达道发展计划的详情。
衙前围道 /贾炳达道发展计划的现貌
衙前围道 /贾炳达道发展计划的现貌
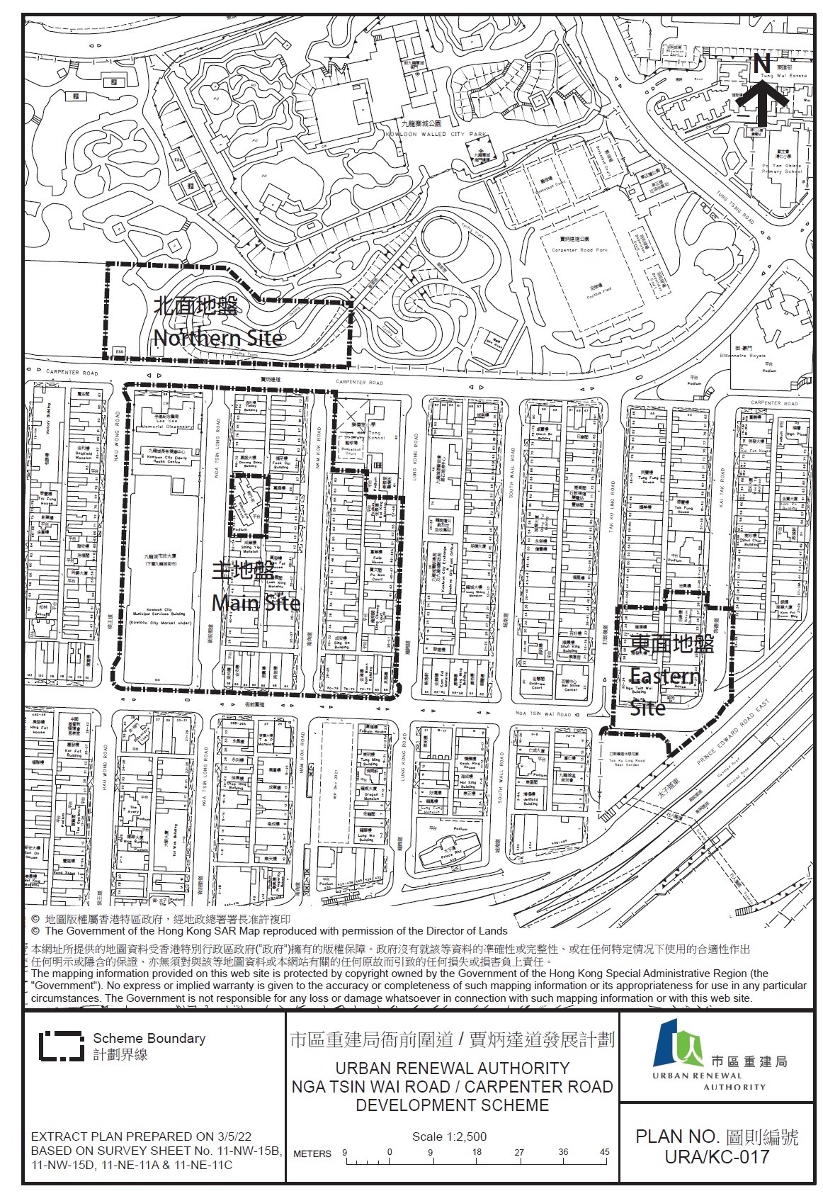
衙前围道 /贾炳达道发展计划的界线图
衙前围道 /贾炳达道发展计划的界线图

市建局启动九龙城「龙城」区重建项目 实践小区规划愿景 缔造宜居易行社区

市区重建局(市建局)今天(2022年5月27日)启动九龙城「龙城」区衙前围道 /贾炳达道发展计划(KC-017)的法定规划程序。市建局贯彻「先规划、后项目」的市区更新模式,开展KC-017计划,并将毗邻市建局的市区更新工作,以融合重建、复修、保育和活化的市区更新策略(「融合策略」),达致多项小区规划的愿景。

市建局将地区居民和持份者多年来希望透过旧区更新改善交通、地区设施和居住环境等诉求,深化为多项小区规划愿景,包括:(一)建立该区成为对接启德发展区的门户,提升新旧区的连接;(二)改善街道环境和提升街道活力;及(三)保留店铺林立的街道氛围,强化「小街饮食文化区」的地区形象,以缔造宜居易行、具特色和活力的社区。

为实践这些愿景,市建局为「龙城」区开展全面而宏观的规划研究,了解到该区自1998年,因应启德机场搬迁而撤销了保障启德机场航道安全而订立的建筑物高度限制后,不少旧楼群已重建成为单幢式住宅楼宇,影响行人和交通网络的重新规划;另一方面,大多数单幢式发展项目均没有设置停车场,加剧区内缺乏公众停车位的问题,令违例泊车及路面挤塞问题愈趋严重,更窒碍改划车路作行人专用区,令改善街道环境的愿景难以实践。由此可见,过去个别独立开展的项目未能为社区带来更大的禆益,反而增加更新此旧区的难度。同时,小区核心范围缺乏空间作绿化休憩,或易地重置老化的社区设施之用,亦为更新此区带来挑战。

在此情况下,市建局以「规划主导」的市区更新模式,应用「融合策略」,整体检视该区的土地资源和用途布局,并作整全的规划;亦利用新规划工具,包括转移地积比,善用土地资源,克服规划上的挑战。

KC-017计划位於贾炳达道及衙前围道,涵盖主地盘、北面地盘和东面地盘,计划总面积约37,060平方米。主地盘和东面地盘内共有约120个街号的楼宇;主地盘亦包括九龙城市政大厦、九龙城狮子会健康院及李基纪念医局三项社区设施;而北面地盘位於贾炳达道公园范围。(有关详情载於附表及相关界线图)

市建局总监(规划及设计)区俊豪在新闻简报会上说:「面对更新『龙城』区的挑战,如果单用一幢幢旧楼的拆卸重建方式,不可能达到地区一直期望的愿景。

KC-017计划是藉著『融合策略』,除重新规划项目范围内的土地用途,配合政府提升及增加社区设施的目标外,项目亦将重整交通及行人网络,提升小区连接性及畅达性,并提供更多地面空间作步行道及广场,以及注入绿化的街道环境。与此同时,从规划阶段已考虑保留现有的街道氛围,在街道两旁提供更多商铺和街道活动,强化该区『小街饮食文化区』的地方特色,以达致小区规划的愿景。」

重新规划土地  增加社区设施

KC-017计划将重新规划三个地盘的土地用途,其中北面地盘内的贾炳达道公园部份土地,将配合政府易地重置九龙城街市及毗邻社区设施,改划作社区设施用途,以「一地多用」的模式,兴建一栋新政府综合大楼。易地重置新政府综合大楼的计划初步已得到九龙城区议会的支持,该计划可让现时主地盘内的社区设施所提供的公共服务,日后无缝过渡至新大楼,减低相关社区设施因重建而对居民造成的不便。

新政府综合大楼连同项目内其他地盘,合共最多可提供约47,000平方米楼面面积作政府、机构或社区设施(GIC)用途,是现时社区设施楼面面积的三倍,创造条件增加新的社区设施,惠及更多居民。

同时,因应区议会就活化整个贾炳达道公园的意见,市建局已联同康乐及文化事务署展开研究工作,藉机一并重整公园布局、注入新的设计元素和提升设施标准、增设绿化行人走廊便利美东邨居民前往「龙城」区,以及改善与九龙寨城公园的连接性,彰显寨城公园遗迹历史文化的重要性。

整合交通及行人网络  缔造易行社区

至於位处「龙城」区核心的主地盘,将在现有政府及社区设施搬迁至新政府综合大楼后,重新规划行人道及车路。项目建议适度放寛地盘的高度限制,增加建筑设计上的弹性及建筑物的间距,从而腾出宽阔的地面空间供行人享用,当中包括建议将地盘内的衙前塱道和南角道改划成为两条、每条至少18米阔的绿化行人步道,并设置市集广场连接新政府综合大楼;主地盘亦计划兴建一个地下停车场,提供约360个公众车位,相当於现时小区路边泊车位总数约两倍,以纾缓区内积存已久,因泊位不足而导致违例泊车及路面挤塞的问题。此外,亦会研究以行人隧道连接项目外的宋皇台港铁站,提供安全舒适的步行环境。

至於邻近太子道东的东面地盘,将配合毗邻市建局启德道/沙浦道发展计划(KC-015项目)拟建的地下广场,把其周边的道路重整及重新规划,增加更多地面行人空间作门户广场,并同时一并活化附近的打鼓岭道公园。门户广场将整合活化后的打鼓岭道公园、KC-015项目的地下广场及毗邻的一列巴士站,扩大该门户对接启德发展区的空间感,并为该处的巴士站提供更多乘客上落车空间,改善候车环境。

增加绿化空间  注入小区核心

上述三个地盘将合共提供约10,450平方米的地面绿化空间,是现时绿化空间面积的1.5倍,而原来集中在贾炳达道公园内的绿化空间,将全方位伸延至住宅林立的「龙城」区,成为连接美东邨、九龙寨城公园、贾炳达道公园、新重建项目范围以至启德发展区的一体化绿化多元空间。

此外,东面地盘拟建一幢低座商业建筑,支援广场的商业活动,并应用转移地积比,将其准许的发展楼面转移至主地盘,释放土地的发展潜力。

彰显「小街饮食文化区」地区形象

在加强历史文化特色方面,市建局考虑到「龙城」区是一个街铺林立、蕴藏丰富餐饮及潮泰文化的小区,有不少具地区特色的店铺和食肆。

主地盘在改划作绿化行人步道后,其两旁将提供临街的商铺,提升街道活力。市建局亦以彰显地区特色的规划方向,期望项目内的特色店铺和食肆能够继续在原区经营。市建局在完成拟备第二阶段的社会评估影响报告时,将整理所收集的资料,再与商户安排约见,深入了解他们的意愿及需要,并参照所收集的资料,厘定合适的过渡经营安排及回迁方案,尽力照顾经营者的需要,并协助他们在重建后回归社区继续经营。

同时,项目内的绿化行人步道和广场,均可为传统节庆及富地区文化特色的活动,提供场地,促进传承该区的非物质文化遗产。至於地区保育工作,市建局已就项目内的数幢尚未获历史建筑评级的唐楼建筑物作初步评估,在项目获规划批准后会进一步进行技术评估,以保育建筑物的建筑特色为元素,进一步强化具地区特色及街铺林立的街道氛围。

融合其他更新策略  创造更大规划裨益

区俊豪补充说:「除了提升及增加社区设施、缔造易行社区和强化地区特色外,市建局亦探讨揉合复修及活化这两项市区更新策略,尝试为项目范围外衙前围道及打鼓岭道一带旧楼,与相关业主商议一套针对性的维修方案,改善他们的楼宇状况,并考虑应用『地方营造』策略、扩阔或绿化行人路的可行性、改善步行环境等措施,让这一带的楼宇及环境,与重建项目融合,达致新旧交融,建立小区整体的独特形象。」

KC-017计划已按照《市区重建局条例》,在今天出版的政府宪报内的市建局公告中宣布启动。视乎建筑设计,在完成重建后,整个计划可兴建约4,350个新住宅单位,是项目内现存楼宇群单位总数的5.2倍。

市建局根据《市区重建局条例》第25条开展KC-017计划,因涉及修订该区的规划大纲图,市建局会於2022年5月30日或之前,向城市规划委员会(城规会)提交KC-017发展计划草图,有关资料将由城规会安排的日期起,存放於指定的规划资料查询处,供公众查阅,详情载於政府宪报的公告内。

市建局总经理(收购及迁置)钟建强在简报会上表示,若  KC-017计划最终获得行政长官及行政会议的批准,市建局会根据届时的政策,展开物业收购工作和补偿/安置符合资格的租客。

应用「健康码4.0」进行冻结人口调查

市建局职员今天起在项目范围内的楼宇进行冻结人口调查,以确定受影响居民的数目和了解楼宇的使用状况。

市建局估计KC-017计划涉及影响泰裔及其他少数族裔居民,故此在进行调查期间,会提供适当的支援措施,包括传译服务和派发由八种少数族裔语言编印成的资料单张等,协助讲解补偿方案及安置安排。

鉴於社交距离措施仍在实施中,市建局的调查员进行冻结人口调查时,除配备一贯防疫及消毒物资外,职员亦已接种最少两针新冠病毒疫苗,并取得有效的「电子针卡」,同时每日均会进行快速抗原(RAT)测试,并在证实为阴性检测结果后才可参与调查工作。职员进入单位调查前,会把「电子针卡」及RAT的阴性检测结果储存在其智能手机的「健康码4.0」流动应用程式内,向住户展示。

项目启动后,市建局将透过网上视频平台直播公众简报会(包括泰裔人士),讲解规划审批程序、现行的物业收购和补偿安排,并解答提问;市建局亦会因应场地租借或供应情况,疫情发展等因素,考虑在适当时候举办实体公众简报会。

市建局专责个案主任将接触项目内的家庭和商户,解释收购政策及项目的执行安排和时间表,以及最新进展。由市区更新基金聘请的圣雅各福群会市区重建社区服务队,亦会为这个项目有需要的业主及居民,提供适切的帮助和辅导。社工队的电话为2760 7301。居民亦可以亲临市建局总办事处或致电市建局热线电话2588 2333,查询项目有关资料,或浏览市建局网页(www.ura.org.hk)。

 

附录:重建项目的详情及拟建的发展参数

项目位置

  • 主地盘 :  毗连贾炳达道、龙岗道、衙前围道及侯王道
  • 北面地盘 :  位於贾炳达道公园范围内
  • 东面地盘 :  毗连太子道东、打鼓岭道休憩花园及打鼓岭道

总地盘面积

约37,060平方米

受影响楼宇

涉及约120个街号 (平均楼龄约58年)

受影响业权*

估计约1,000个业权

受影响住户*

估计约1,600个

受影响地铺*

约140个

拟建的项目发展内容 **

住宅楼面面积

约202,420平方米

住宅单位

约4,350个中小型单位 (实用面积约400尺)

政府、机构及社区设施

约47,000平方米

地面绿化空间

约10,450 平方米

非住宅楼面面积

约25,300平方米

*视乎冻结人口调查结果

**视乎日后建筑设计

 

(完)