跳到主要内容
新闻发布
林郑月娥丶张震远及罗义坤举行记者会,介绍马头围道/春田街项目详情
林郑月娥丶张震远及罗义坤举行记者会,介绍马头围道/春田街项目详情
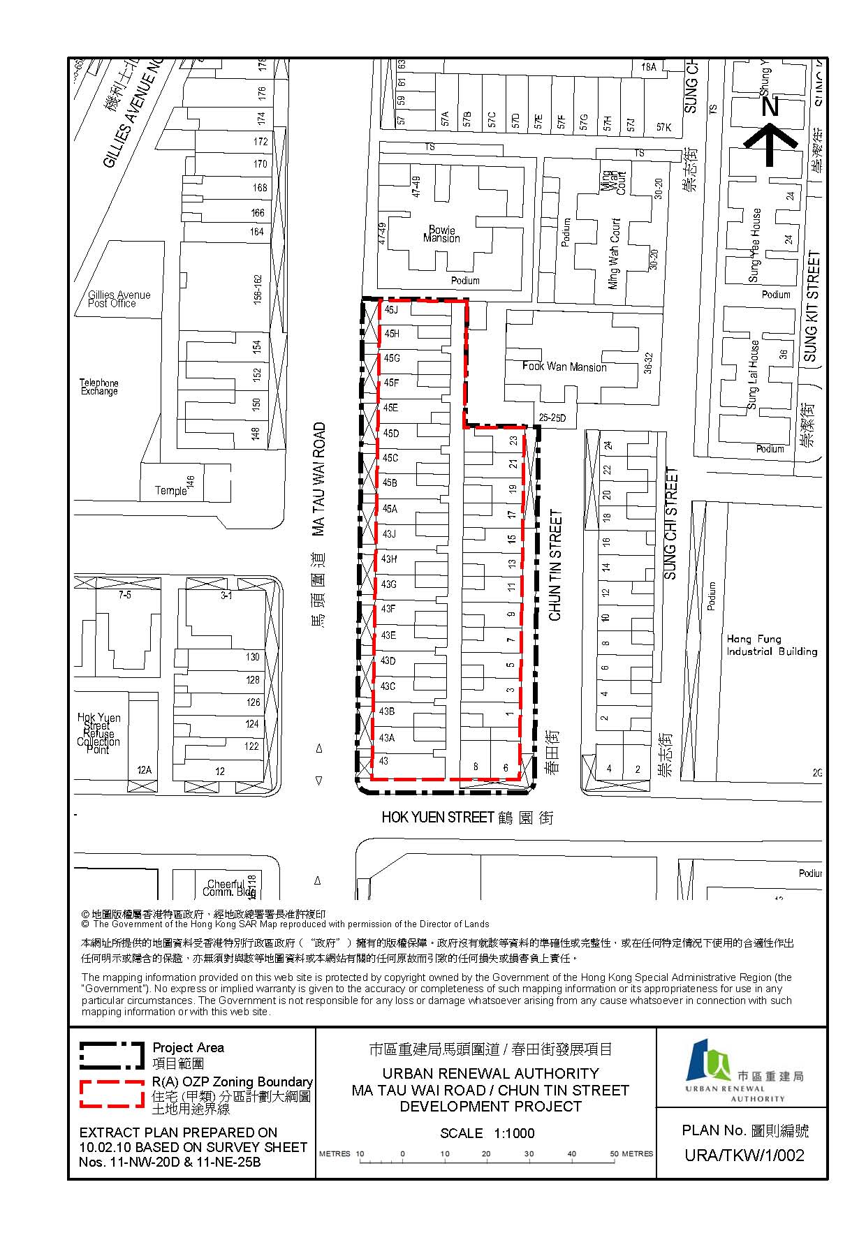
重建范围平面图
重建范围平面图

市建局启动马头围道/春田街项目及采取特别措施

市区重建局(市建局)今日(星期三)宣布启动一个位於土瓜湾的重建项目,重建范围涉及两排楼龄超过50年的唐楼, 其中一幢於2010年1月29日发生倒塌事件。由於考虑到情况特殊、居民的恶劣生活环境,以及居民在塌楼事件後的心理负担,市建局在进行这个特别项目时将 会采取一些特别措施。

财政司司长今日在财政预算案中公布,批准市建局将这个项目纳入本财政年度的周年业务计划内,以及根据《市区重建局 条例》进行该项目。发展局局长林郑月娥、市建局主席张震远及市建局行政总监罗义坤在今午的新闻发布会中,介绍重建计划及相关的特别措施。他们强调这个项目 的特别安排是基於项目的独特情况,有关措施并不适用於已开展的项目,亦不成为市建局未来项目的先例。

在财政司司长公布这个项目的消息後,项目的公告随即在宪报刊登。

张震远在新闻发布会上表示,市建局进行这个项目是经仔细研究及考虑楼宇的状况、居民的居住环境,以及塌楼悲剧发生後的特殊情况。

「我们对於塌楼事件十分关注,并对受影响的居民深表同情。我们一直与政府保持紧密联络,希望市建局可以为受塌楼影响及邻近的居民提供协助。」

「由於情况特殊,我们在项目获批准及发出收购建议之前,采取一些一次性的安排和措施,以协助受影响的居民。」张震远强调采取特殊措施是由於事件十分独特,以及居民心理上对於居住环境安全的关注。

市建局为这个重建项目制订的特别安排只在人口冻结调查日後的一个月内有效,亦需要有关业主及租户在这个月内向市建局提出。这些特别措施包括:

  1. 住宅自住业主:市建局暂时预计,如项目没有反对声音,市建局最快可於今年5 月底前发出收购建议,如自住业主选择在此之前迁出其居所,市建局会以市场估值收购其物业,并缴付市场估值的三成作为按金。当项目获批准後,市建局会正式向业主发出收购建议,在正式出价後补足按假设同区七年楼龄计算的赔偿的差额。
  2. 住宅租客:如租客选择即时迁出,市建局会向合资格的租客作出现金补偿或安置(如符合安置资格)。如租客要求及市建局同意,市建局会代租客继续缴付租金,直至该租约期届满或业主接纳收购建议当日为止,当中以较早者为准。
  3. 非住宅自用业主:市建局暂时预计於今年5 月发出收购建议,如非住宅自用业主选择在此之前结束其业务并迁出,市建局会以市场估值收购其物业,并缴付物业估值的三成作为按金。当项目获批准後,市建局会提出收购建议,并会就有关物业的市场估值作出重新评估。业主可以得到重新评估的物业巿值 (如有调整)的135%与业主早前已收取的物业价钱的差额。
  4. 非住宅租客:如租客决定即时迁出,市建局会向租客发放相等於其租用单位每年应课差饷租值0.5倍金额作为特惠营商津贴。

市建局亦为受影响的住宅自住业主提供住宅单位认购意向安排,让他们可以在这个项目完成後,优先以市价购置新落成的住宅单位。另外,地铺的自用业主及租客亦可优先以市值租用项目内新落成的商舖。

张震远表示:「市建局计划在这个项目内兴建小型单位,以迎合大众化巿场。项目预计可以提供超过400个平均面积少於50平方米的单位。此外,我们亦不排除这个项目会由市建局独自发展的可能性。」

这个项目的其他特色包括沿马头围道及鹤园街提供低楼层的店舖建筑,以重现现时街舖的情况。项目又会提供约1,000平方米的地方,作为政府、机构及社区设施之用。另外,项目亦设有500平方米的地面公共休憩用地。这个项目将会改善街貌及加强空气流通。

张震远表示:「为加强业主对於楼宇管理及定期维修的意识,我们会考虑在项目内设置一所楼宇管理资源中心。」

这个项目占地约3,377平方米,位处於马头围道、鹤园街及春田街。项目范围内的楼宇建於1955年至1957年间,楼高4至6层。

估计重建范围内约有540个住户及35间商铺,涉及159个业权。

张震远补充说,这次不幸的塌楼事件,突显了在本港推行定期及适当楼宇维修的重要性,亦触发这个重建项目。如果项目得以推行,受影响居民的生活环境可以得到改善,而社区亦有所?益。

整个重建项目的收购/重置成本预计约为14亿4千7百万元,预计项目会有7亿元的亏损,当中未包括行政开支。

大约 130名市建局职员在项目范围内进行冻结人口调查,以确定住户数目和了解楼宇的使用状况。张震远补充说:「市建局稍後会举行简报会,向受影响的业主和租户讲解这个项目的特别安排。」

由市建局资助成立的救世军市区重建社区服务队,其专业社工会为有需要的居民,提供适切的帮助和辅导,社工队的联络电话是3188-2104。居民亦可以使用市建局的热线电话2588-2333或亲临市建局位於马头围道426-430号地下A舖的马头围地区办事处提出查询。

马头围道/春田街重建项目是根据《市区重建局条例》第26条的规定,以发展项目形式进行。市建局会按《市区重建局条例》第24(3)条的规定,将项目计划呈交发展局局长考虑。

根据《市区重建局条例》第23(3)条的规定,项目的土地界线图则及一般资料,会由今日起之後的两个月内,存放於下列地点供市民於办公时间内查阅:

  • 市建局总办事处:香港上环皇后大道中181号低座10楼 (星期一至五,上午8时45分至下午6时);
  • 市建局马头围地区办事处:九龙马头围道426-430号地下A舖(星期一至五,上午8时45分至下午1时,及下午2时至6时);
  • 九龙城民政事务处谘询服务中心:九龙红磡德丰街18-22号海滨广场一座17楼1707室(星期一至五,上午9时至下午7时);及
  • 九龙城民政事务处土瓜湾分处谘询服务中心:九龙土瓜湾马头角道33号欣荣花园地下2及3号舖(星期一至五,上午8时45分至下午1时,及下午2时至6时)。

市民亦可浏览市建局网页(www.ura.org.hk),了解有关资料。

根据《市区重建局条例》第24(1)条的规定,对该发展项目提出反对的人士,可於2010年4月24日或之前,以书面形式将其反对意见送交市建局总办事处(上环皇后大道中181号低座10楼)。

(完)