跳到主要内容
新闻发布
市建局收购及迁置总监黄伟权(左)及市建局总监(规划及设计)马昭智(右)在记者会上介绍春田街/崇志街项目的详情。
春田街/崇志街项目的现貌
春田街/崇志街项目的现貌
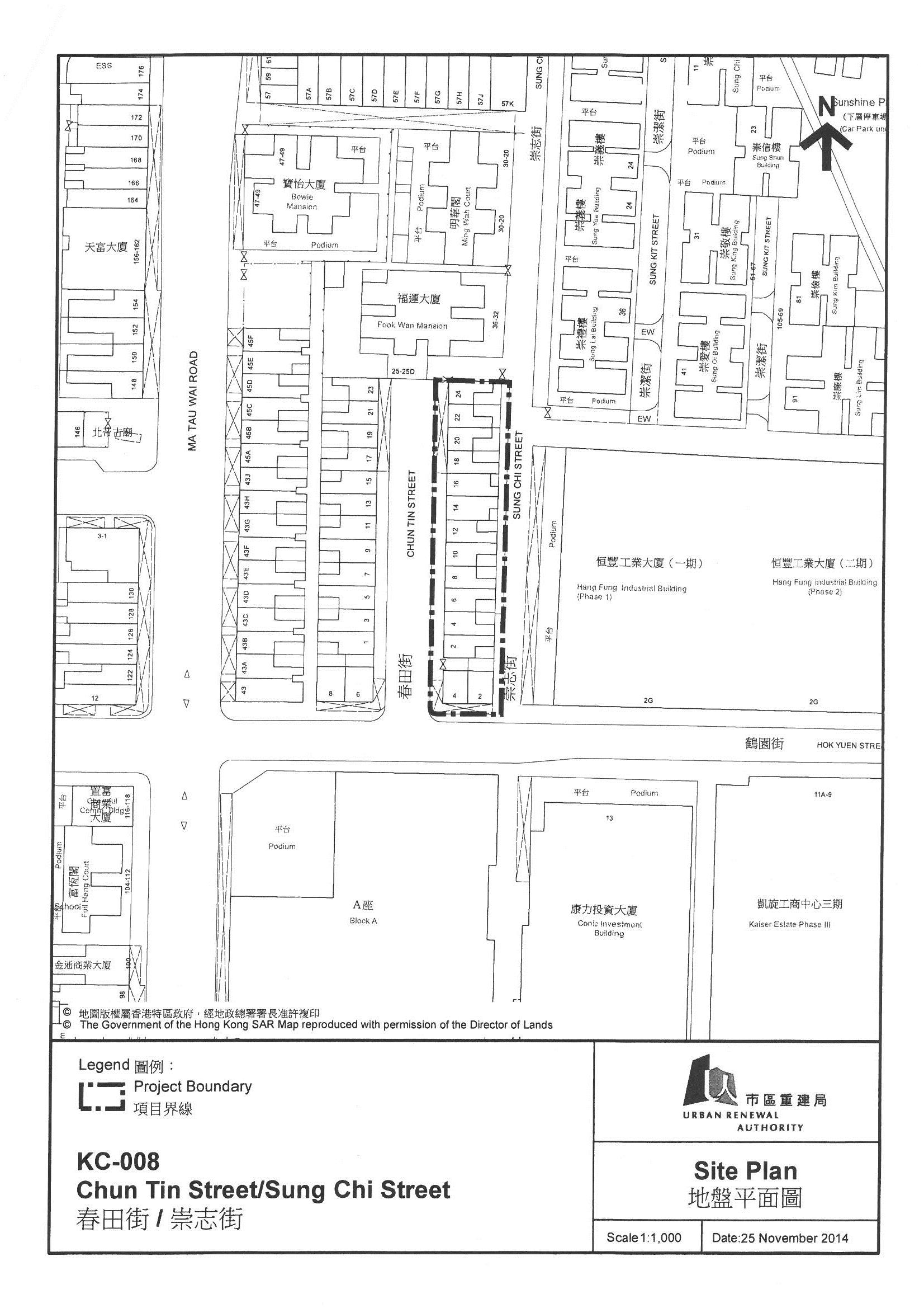
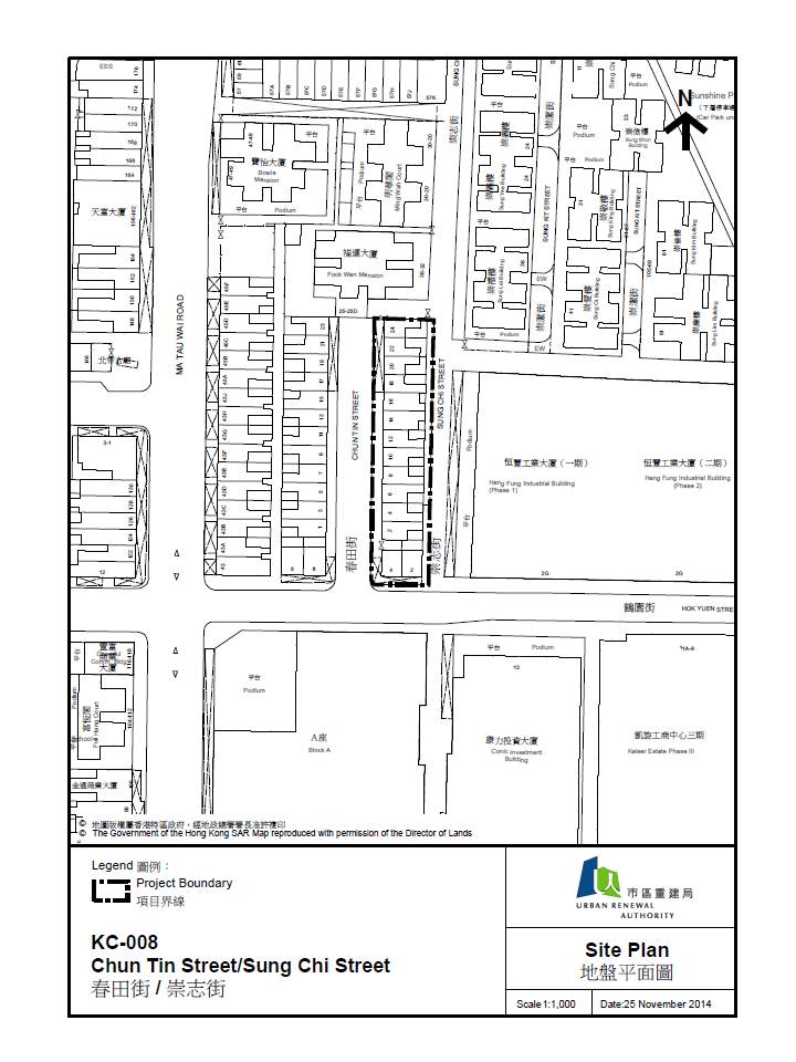
春田街/崇志街项目的界线图
春田街/崇志街项目的界线图
春田街/崇志街项目的界线图
春田街/崇志街项目的界线图

市建局启动九龙城区第9个重建项目

市区重建局(市建局)今日(星期五)宣布启动九龙城春田街/崇志街发展项目的法定规划程序,该项目是区内第8个由市建局自行开展的重建项目。市建局在该区亦已开展了一个需求主导重建项目。

市建局收购及迁置总监黄伟权在今早新闻简报会上表示,九龍城区的市区老化问题严重,市建局在区内持续进行重建及楼宇复修工作,务求改善居住环境及提升旧区的面貌。九龙城区内50年楼龄或以上的住宅或商住楼宇约有2,300幢。

黄伟权补充说:「至今,市建局在九龙城已开展的多个重建项目,合共改善约2,400人的居住环境。另外,区内逾570幢大厦约19,000个单位业主,亦受惠于楼宇复修计划,改善楼宇状况。」

按照《市区重建局条例》第23条,今日出版的政府宪报刊载了市建局的公告,宣布启动这个发展项目。

项目地盘位于九龙城春田街2至24号(双数)及鹤园街2至4号(双数),地盘总面积约1,226平方米。地盘内有14个街号的楼宇,楼高4至6层,建于1955至1957年间,楼宇状况普遍失修,有劏房,天台及后巷亦有僭建物,居住环境不理想。

项目涉及70个业权。估计重建范围内居住了约116户家庭及有约15个地下商户;但实际情况有待市建局今日进行的冻结人口调查核实。

市建局总监(规划及设计)马昭智在简报会上指出,市建局初步建议在项目内提供约6,690平方米的住宅楼面面积,可建约150个住宅单位 (主要为中小型单位),包括一些预留作「楼换楼」选择之用的低层单位。项目亦会提供约1,338平方米的商业/零售楼面面积。项目预计可在2023/2024年完成。

 按照《市区重建局条例》第23条,在未来两个月的公布期内,市民可于下列地点,查阅上述新重建项目的土地界线图则及一般数据:
• 市建局总办事处:香港中环皇后大道中183号中远大厦26楼;
• 市建局马头围地区办事处:九龙土瓜湾马头围道426-430号美善阁地下A铺;及
• 九龙城民政事务处咨询服务中心:九龙红磡庇利街42号九龙城政府合署低层地下。

根据《市区重建策略》,市建局会就项目进行第一阶段社会影响评估,并由2015年1月16日起开始将报告存放于上述地点供公众查阅。而第二阶段的社会影响评估报告,则将会在2015年3月5日起存放于上述地点供公众查阅。

如果在为期两个月的公布期内收到书面反对意见,市建局将会个别详细考虑,并将考虑结果、所有未撤回的反对意见连同实施该项目时可能产生的影响的评估报告,一并呈交发展局局长考虑。

按照《市区重建局条例》第24条,发展局局长会考虑重建项目,及所有未撤回的反对意见,然后决定授权,修订或拒绝授权有关项目的进行。

若发展项目最终获得发展局局长批准,市建局会按当时政策开展物业收购和安置补偿租客的工作。

整个项目的总发展成本,以目前价格初步计算,估计约为12亿元。

黄伟权表示,约50多名市建局职员今日在项目范围内的楼宇进行冻结人口调查,以确定住户数目和了解楼宇的使用状况。市建局会在下星期举行简报会,向受影响的业主和租客讲解规划审批程序,以及现行的物业收购和补偿安排。

由市区更新基金聘请的基督教家庭服务中心社工队将会为有需要的居民,提供适切的帮助和辅导。社工队的联络电话是 2110 5865。居民亦可以亲临市建局马头围区的地区办事处或致电市建局热线电话(2588 2333)查询。市民可浏览市建局网页(www.ura.org.hk),了解项目有关数据。

(完)