Skip to main content
Press Releases
Director (Planning & Design) of the URA, Mr Wilfred Au (right), and General Manager (Acquisition & Clearance) of the URA, Mr Tam Kin-keung (left), at the media briefing for the commencement of Kai Tak Road/Sa Po Road Development Scheme.
Existing view of Kai Tak Road/Sa Po Road Development Scheme
Existing view of Kai Tak Road/Sa Po Road Development Scheme
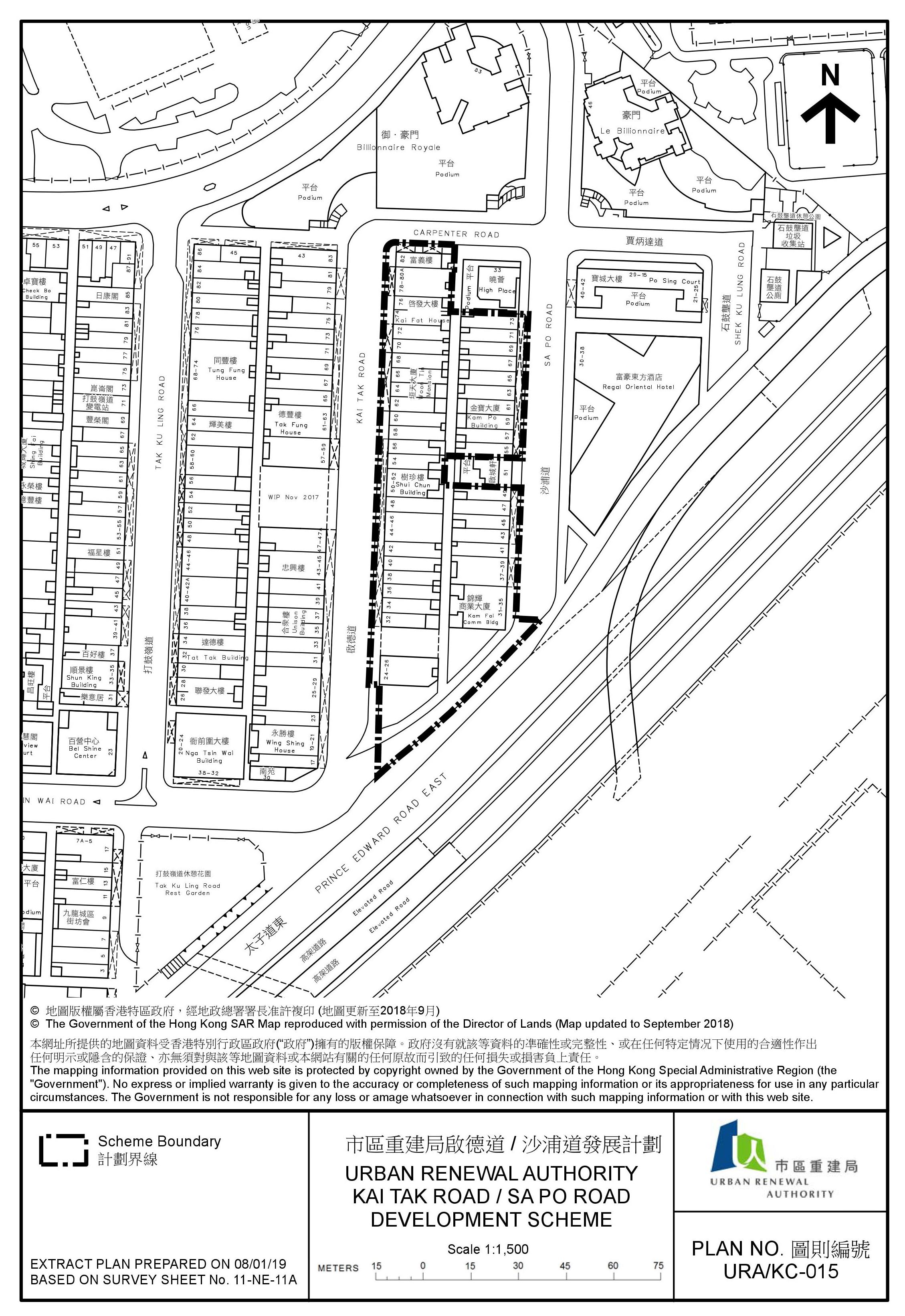
Site plan of Kai Tak Road/Sa Po Road Development Scheme in Kowloon City
Site plan of Kai Tak Road/Sa Po Road Development Scheme in Kowloon City

URA adopts planning-led approach in a redevelopment project to connect old and new districts

The Urban Renewal Authority (URA) today (Friday) commences the statutory planning procedures of the Kai Tak Road/Sa Po Road Development Scheme (KC-015) in Kowloon City with an aim to renew the older part of the district by adopting a “planning-led” approach in redevelopment.  Through restructuring and re-planning, the project will complement the Government’s Kai Tak Development and emerge as a connecting point between the old and new districts in Kowloon City and Kai Tak Development Area.  In addition, the project will address the shortage of parking spaces in the vicinity of the project area by incorporating a public car park in the project to help alleviate the problem, thereby creating more planning benefits to the community.

At a media briefing to announce the KC-015 project, Director (Planning and Design) of URA, Mr Wilfred Au, said: “The development scheme is implemented in accordance with the objectives set out in the Urban Renewal Strategy (URS) of 2011, with a view to restructuring the urban fabric and road layout for better utilization of land, and an improved built environment, through appropriate urban design landscape measures.”

Occupying a total area of about 6,100 square metres, the KC-015 project covers approximately 50 street numbers of buildings blocks (the even number of Nos. 24 – 82 of Kai Tak Road, and the odd number of Nos. 31 – 49 and 55 – 73 of Sa Po Road).

Outlining the planning intention of KC-015, Mr Au said the design of the project will tie in with the Government’s plan to develop the Kai Tak underground shopping street and its associated pedestrian subway underneath Prince Edward Road East (PERE).  A portion of Sa Po Road within the project area will be realigned and converted to become a space for pedestrians, where it will be integrated with a split-level sunken plaza to become a vital node connecting the new Kai Tak Development area and the old “Lung Tong” area.

The underground floor of the sunken plaza will join the entrance of the subway leading to the Kai Tak underground shopping street such that connectivity between the two areas will be enhanced injecting vibrancy to the old “Lung Tong” area.

The ground level of the sunken plaza will integrate with the existing pavement of the Eastbound PERE, thereby providing an enlarged space and much improved environment for queueing and disembarking at the bus stops along the street.  The URA will further liaise with relevant Government departments on possible street revitalisation work upon approval of the development scheme.

The development plan will maximise street frontages for ground floor shops with a view to increasing street vibrancy and retaining local characteristic of having small on-street shops.  Revitalisation of the pavements within the project area will also be carried out with appropriate landscape design.  The project will have an overall green coverage of no less than 30%, subject to detailed design.

Mr Au added that the KC-015 development scheme will also incorporate an underground car park with 300 public parking spaces for the community, aiming to alleviate the traffic congestion problem as a result of inadequate car parking spaces in the locality.  The URA would also explore the feasibility of removing on-street parking spaces in the longer term for pavement widening so as to further enhance walkability of the area.  Other urban renewal measures including revitalisation may also be deployed to bring additional benefit to the neighbouring environment.

KC-015 is commenced by way of a development scheme under section 25 of the Urban Renewal Authority Ordinance (URAO).  The preliminary proposal is to provide about 40,100 square metres of residential floor area, in addition to some 8,000 square metres of commercial/retail floor area, of which about 800 square metres will be reserved for community purpose.  With the application of place-making concepts, the split-level sunken plaza will provide no less than 1,000 square metres of open space where diverse activities can be held for public enjoyment supported by appropriate retail facilities to create an environment with vitality and local characteristics.

In accordance with Section 23 of the URAO, an URA notice announcing the commencement of KC-015 development scheme is published in the Gazette today.

The URA will submit a draft Development Scheme Plan (DSP) of KC-015, including the Stage 1 Social Impact Assessment (SIA) Report to the Town Planning Board (TPB) today.  The Stage 2 SIA Report will also be submitted to the TPB on 4 April 2019.  The information will be available for public inspection at the specified Planning Enquiry Counters from the date as determined by the TPB.  The abovementioned information will also be made available for public inspection at the URA Headquarters (26/F, COSCO Tower, 183 Queen’s Road Central, Hong Kong) and the URA website (www.ura.org.hk) until the draft DSP is considered by the TPB.  If the submitted draft DSP is deemed to be suitable for publication under the Town Planning Ordinance after consideration by the TPB, it will be exhibited by the TPB for a period of two months.  During this period, any person may make representation in writing to the TPB in respect of the draft DSP.  The approval of the draft DSP, as the case may be, will only be granted by the Chief Executive in Council after consideration of the representations on the draft DSP by the TPB.

At the media briefing, General Manager (Acquisition & Clearance) of URA, Mr Tam Kin-keung said the URA would proceed with acquisition of the properties and compensation/rehousing for eligible tenants in accordance with the prevailing policy after approval of the draft DSP is obtained from the Chief Executive in Council.

The project covers approximately 450 property interests, which are occupied by about 670 households and 40 ground floor shops.  About 200 URA staff members are deployed today to conduct a freezing survey to ascertain the actual number of households and their occupancy status.

The URA will arrange a briefing session to explain the planning procedures and the acquisition and compensation arrangements to the affected owners and tenants.  An urban renewal social service team staffed by professional social workers of St. James' Settlement has been appointed by the Urban Renewal Fund to provide assistance to the owners and residents in need.  The contact number of the social service team is 2760 7301.  Affected residents can also visit the URA’s Kowloon City Neighbourhood Centre in person; or call the URA’s Hotline at 2588 2333 for enquiries.  Members of the public are welcome to visit the URA website at www.ura.org.hk for project information.

  (ENDS)