Skip to main content
Press Releases
Head (Planning and Design) of the URA, Mr Wilfred Au (right), and General Manager (Acquisition & Clearance) of the URA, Mr Kelvin Chung (left), at the media briefing for the commencement of Sung Hing Lane/Kwai Heung Street Development Project.
Existing view of Sung Hing Lane/Kwai Heung Street Development Project
Existing view of Sung Hing Lane/Kwai Heung Street Development Project
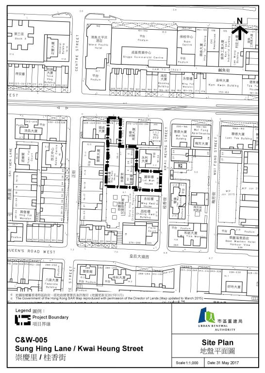
Site plan of Sung Hing Lane/Kwai Heung Street Development Project in Central and Western district
Site plan of Sung Hing Lane/Kwai Heung Street Development Project in Central and Western district

URA commences 5th redevelopment project in Central & Western district

The Urban Renewal Authority (URA) today (Friday) commences the planning procedure of the Sung Hing Lane/Kwai Heung Street in the Central and Western district, which is the 5th redevelopment project initiated by the URA in the district. 

Occupying a site of about 1,120 square metres, the project covers Nos. 1 - 7 (odd number) and Nos. 2 - 4D (even number) Sung Hing Lane, Nos. 216 and 218 Des Voeux Road West, and Nos. 12 - 16 Kwai Heung Street (even number).  Built between 1959 and 1978, the 14 street numbers of buildings within the project area are mainly in "varied" condition.  The buildings are six to eight storeys without elevator.  

At a media briefing to announce details of the project, Head (Planning and Design), Mr Wilfred Au, said the project was undertaken with an aim to improving the built environment and the accessibility in the area for the community benefits. 

"Through better planning and design, we aim to enhance the connectivity to the adjoining children's playground by widening and improving the existing pedestrian accesses from Des Voeux Road West and Kwai Heung Street.  An at-grade open space of about 150 square metres will also be provided to integrate with the playground for better enjoyment of the community," Mr Au said. 

The URA's initial proposal is to provide about 8,300 square metres of residential floor area for about 165 residential units and some 400 square metres of commercial/retail floor area.  It is tentatively scheduled for completion by 2026/2027.

In accordance with Section 23 of the Urban Renewal Authority Ordinance (URAO), an URA notice announcing the commencement of the redevelopment project is published in the Gazette today.

As from today, a two-month publication period will begin under Section 23 of the URAO.  Within the period, a site plan delineating the boundary of the project plus a general description will be put on display for public inspection at: 

  • the URA Headquarters (26/F, COSCO Tower, 183 Queen's Road Central, Central); and
  • Central & Western Home Affairs Enquiry Centre (G/F, Harbour Building, 38 Pier Road, Central, Hong Kong)        

In accordance with the Urban Renewal Strategy, the URA will make the Stage One Social Impact Assessment (SIA) report available for public information at the above venues from today (28 July 2017).  The Stage Two SIA report will be made available for public information at the above locations from 14 September 2017. 

Also speaking at the media briefing, General Manager (Acquisition and Clearance), Mr Kelvin Chung, said the URA would proceed with acquisition of the properties and rehousing for the eligible tenants in accordance with the prevailing acquisition and rehousing policies after the project obtained approval from the Secretary for Development. 

Mr Chung added that the prevailing acquisition policy for domestic and non-domestic property interests, and the enhanced policies for ex-gratia allowance and rehousing to domestic tenants, as well as ex-gratia allowance for non-domestic owner-occupiers and non-domestic tenants, which were approved by the URA Board last month, are applicable to the project. 

The project affects a total of 98 property interests.  It is estimated that there are about 110 households and about 13 ground floor shops.  About 80 URA staff members have been deployed today to conduct a freezing survey to ascertain the actual number of households and the occupancy status of the project. 

The URA will arrange briefing sessions to explain to the affected owners and tenants the planning approval procedure and the acquisition and compensation arrangements.  An urban renewal social service team staffed by professional social workers of the Christian Family Service Centre, which has been appointed by Urban Renewal Fund, will provide assistance to the owners and residents in need.  The contact number of the social service team is 2110 5861.  Affected residents can also visit the URA's Headquarters in person; or call the URA's Hotline at 2588 2333 for enquiries.  Members of the public can also visit the URA website at www.ura.org.hk for project information.           

(ENDS)