Skip to main content
Press Releases
Aerial View of Project Site
Artist Impression
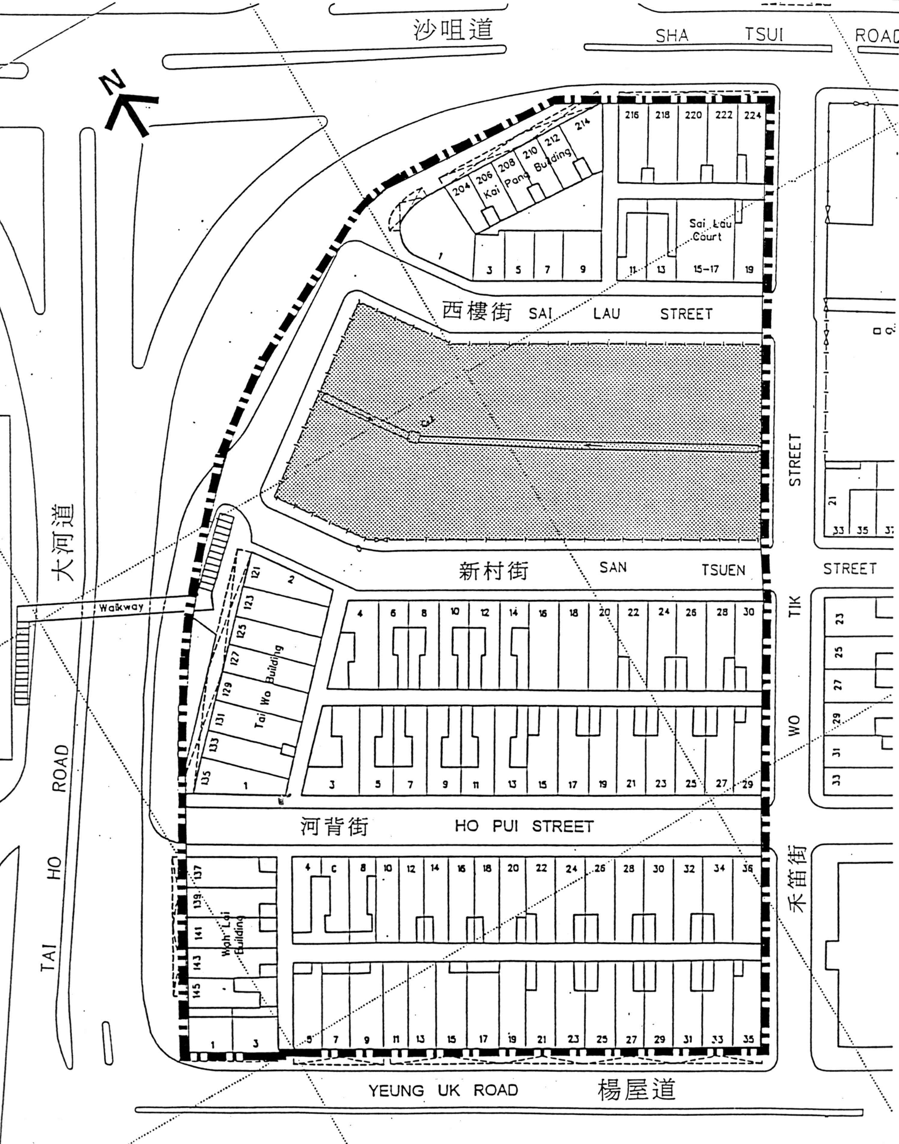
Site Plan

Tender Submission for Tsuen Wan Town Centre Project

The Urban Renewal Authority (URA) has received a total of seven submissions from property developers for the development of the Tsuen Wan Town Centre project, which covers a site area of over 20,000 square metres. The submission of tenders closed today (Tuesday) at 12:00 noon.

An URA spokesman described the response as very satisfactory. He said that this showed that private sector developers have a keen interest in URA projects and are ready to participate in joint ventures with the URA in redeveloping run-down areas of the territory.

A tender panel under the URA Board will assess proposals by the tenderers and make recommendation to the Board for the award of development contract within the next couple of weeks.

The redevelopment is one of the projects commenced by the former Land Development Corporation. Covering a site area of 20,300 square metres, the development is expected to yield a total gross floor area of 133,500 square metres upon completion, of which over 107,000 square metres are for residential use, representing some 1,900 residential units, and about 22,800 square metres for retail purpose. It has also set aside over 3,300 square metres for the provision of Government/Institution/Community facilities and 3,700 square metres as open space.