Skip to main content
Press Releases
Existing view of the Kowloon City Road/Sheung Heung Road project.
Existing view of the Kowloon City Road/Sheung Heung Road project.
Executive Director (Operations & Project Control) of the URA, Calvin Lam (first left) and Director (Acquisition & Clearance) of the URA, Joseph Lee (second left) talking to one of the shop operators.
Executive Director (Operations & Project Control) of the URA, Calvin Lam (first left) and Director (Acquisition & Clearance) of the URA, Joseph Lee (second left) talking to one of the shop operators.
Executive Director (Operations & Project Control) of the URA, Calvin Lam (left) and Director (Acquisition & Clearance) of the URA, Joseph Lee (right) announcing project details at the media briefing.
Executive Director (Operations & Project Control) of the URA, Calvin Lam (left) and Director (Acquisition & Clearance) of the URA, Joseph Lee (right) announcing project details at the media briefing.
The buildings in the project are either dilapidated or markedly dilapidated.
The buildings in the project are either dilapidated or markedly dilapidated.
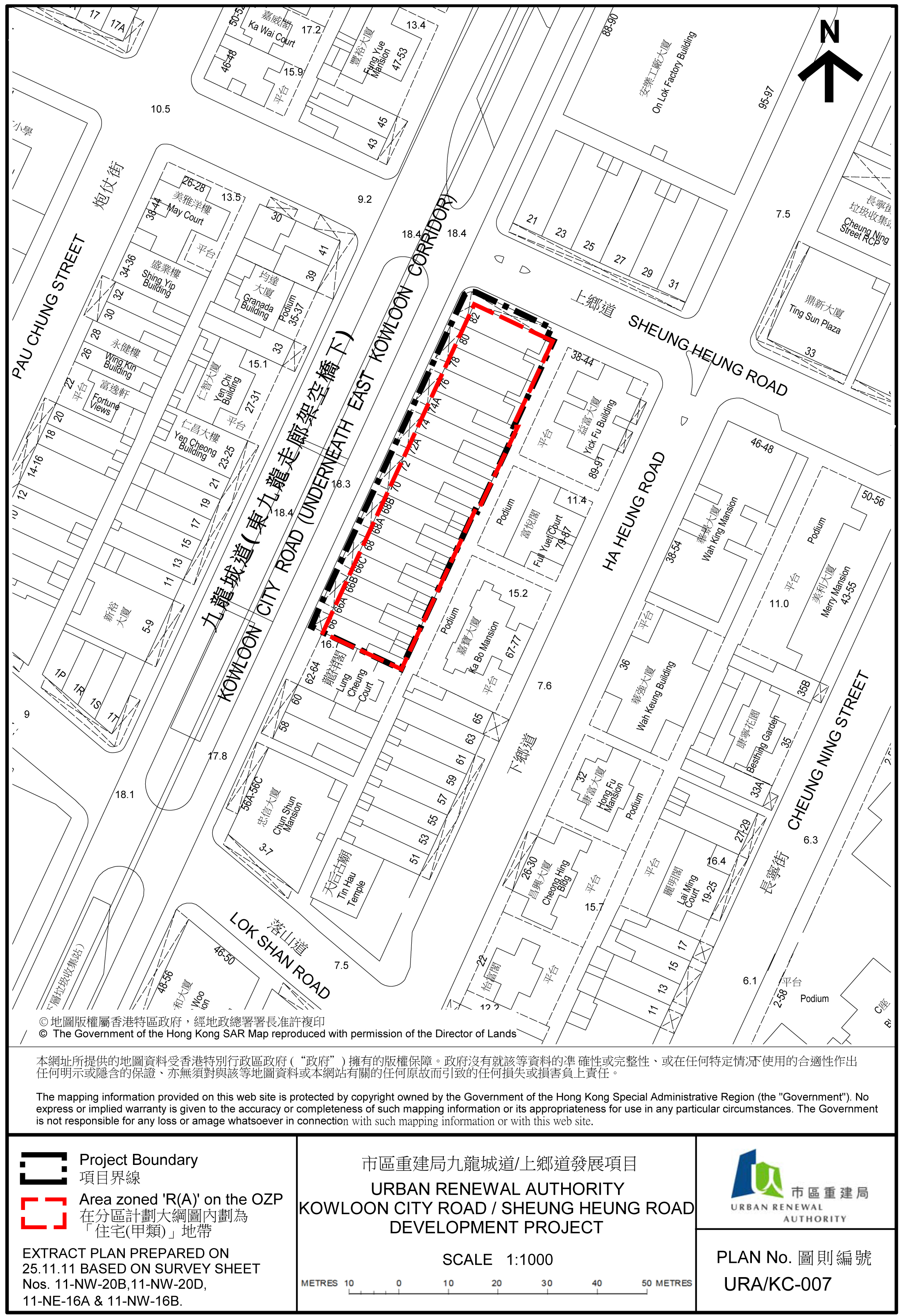
Site plan of  the Kowloon City Road/Sheung Heung Road project.
Site plan of the Kowloon City Road/Sheung Heung Road project.

URA starts the seventh redevelopment project in Kowloon City

The Urban Renewal Authority (URA) commenced today (Friday) the statutory planning procedures for a new redevelopment project at Kowloon City Road/Sheung Heung Road in Kowloon City.  This is the seventh redevelopment project being implemented in the district by the Authority.

Outlining details of the new project at a media briefing this morning, Executive Director (Operations & Project Control) of the URA, Mr Calvin Lam, said because of its proximity to the East Kowloon Corridor and the buildings' design and facilities, the living environment of some 280 households is considered very unsatisfactory. 

Above all, findings of our building condition survey showed that the buildings in the project are either dilapidated or markedly dilapidated, said Mr Lam.

In accordance with Section 23 of the Urban Renewal Authority Ordinance (URAO), a URA notice announcing the commencement of the project is published in the Gazette today.

"Being the seventh project implemented by the URA in Kowloon City district, it will give an added impetus to facelift the district where redevelopment and rehabilitation efforts have been going on hand in hand over the years," said Mr Lam.   The announced projects altogether have been helping some 2,350 households to improve their living environment while owners of some 27,200 units of over 540 buildings in the district have benefited from joining the building rehabilitation schemes. 

The project area occupies a site at the junction of Sheung Heung Road and Kowloon City Road in Kowloon City, covering an area of about 1,622 square metres.  Built in 1950s, the 16 street numbers of buildings within the project area are in a generally poor condition. The buildings are 4 to 8 storeys with no lifts and there are unauthorized rooftop structures observed.

The project affects a total of 118 property interests.  It is estimated that there are about 280 households, but the actual number has yet to be ascertained in a freezing survey conducted by the URA today.

 The URA's initial proposal is to redevelop the site to provide about 180 residential units with flat sizes of around 35 square metres to 65 square metres, including some 40 units of lower levels for flat-for-flat option.  It is tentatively scheduled for completion by 2019/2020, said Mr Lam.

The acquisition and rehousing cost for Sheung Heung Road project is estimated at about $662 million at current prices. Adding construction and interest to the budget, the total development cost is estimated to reach $1,192 million.

 A two-month consultation period will begin under Section 23 of the URAO. Within the period, a site plan delineating the boundary of the project plus a general description will be put on display for public inspection at:

  • the URA's Ma Tau Wai Neighbourhood Centre, Shop A, Ground Floor, 426-430 Ma Tau Wai Road, Kowloon
  • the Public Enquiry Service Centre of the Kowloon City District Office, Room 1707, 17th Floor, One Harbourfront, 18-22 Tak Fung Street, Hung Hom, Kowloon
  • the Public Enquiry Service Centre of the To Kwa Wan Sub-office, Kowloon City District Office, Shops 2 and 3, Ground Floor, Jubilant Place, 33 Ma Tau Kok Road, To Kwa Wan, Kowloon
  • the URA Headquarters (26/F, Cosco Tower, 183 Queen's Road Central, Central)

In accordance with the new Urban Renewal Strategy, the URA will make the Stage 1 Social Impact Assessment (SIA) report available for public information at the above venues from 25 November 2011. The Stage 2 SIA report will be made available for public information at the above locations from 12 January 2012.

Should there be any written objections to this project received during the two-month consultation period, the URA will consider and deliberate them individually. Included in its submission of the development project to the Secretary for Development for consideration will be the URA's deliberation on the objections, unwithdrawn objections, and an assessment of the likely effect of the implementation of the project.  Under Section 24 of the URAO, the Secretary for Development shall then consider the development project and any objections which are not withdrawn and determine whether to authorize or amend or decline to authorize the development project.

If approval is eventually granted by the Secretary for Development, the URA will proceed with acquisition of the properties and re-housing for the tenants in accordance with the prevailing acquisition and rehousing principles, said Mr Lam. 

Also speaking at the media briefing, Director (Acquisition & Clearance), Mr Joseph Lee, noted that about 80 URA staff members were deployed to conduct the freezing survey to ascertain the actual number of households and the occupancy status of the project. "The URA will arrange public meetings shortly to explain to the affected owners and tenants the planning approval procedure and the prevailing acquisition and compensation arrangements," Mr Lee added.

"Same as redevelopment projects implemented on or after 24 February 2011, the flat-for-flat option will be offered as an alternative option to cash compensation to the domestic owner-occupiers subsequent to the project authorisation. They can consider taking cash compensation or using it to buy a new flat in-situ in the new development or in the Kai Tak development," he said.

Mr Lee emphasised that this is only an alternative option and the amount of cash compensation and ex-gratia payment offered to a domestic owner-occupier will not be increased or enhanced by his/her choice in joining the flat-for-flat arrangement.  Neither is it a direct exchange of an old flat for a new one.

He also noted the URA will adopt a compassionate approach on assessing the eligibility of owners of tenanted domestic units for ex-gratia payment in exceptional circumstances such as elderly owners who rely on the rental income from their properties for a living.

An urban renewal social service team staffed by professional social workers of The Salvation Army will provide counselling and practical assistance that the residents may need.  The contact number of the social service team is 3188 2151. Affected residents can also visit the URA's Ma Tau Wai Neighbourhood Centre, Shop A, G/F, 426-430 Ma Tau Wai Road in person; or call the URA's Hotline at 2588 2333 for enquiries.  Members of the public can also visit the URA Website at www.ura.org.hk for project information.

 

(ENDS)