Skip to main content
Press Releases
Media Briefing on Commencement of To Kwa Wan Road / Wing Kwong Street Development Scheme
General Manager (Planning and Design) of the URA, Mr Christopher Wong (right), and General Manager (Acquisition and Clearance) of the URA, Mr Kelvin Chung (left), announce the commencement of To Kwa Wan Road / Wing Kwong Street Development Scheme.
General Manager (Planning and Design) of the URA, Mr Christopher Wong (right), and General Manager (Acquisition and Clearance) of the URA, Mr Kelvin Chung (left), announce the commencement of To Kwa Wan Road / Wing Kwong Street Development Scheme.
Existing view of To Kwa Wan Road / Wing Kwong Street Development Scheme
Existing view of To Kwa Wan Road / Wing Kwong Street Development Scheme
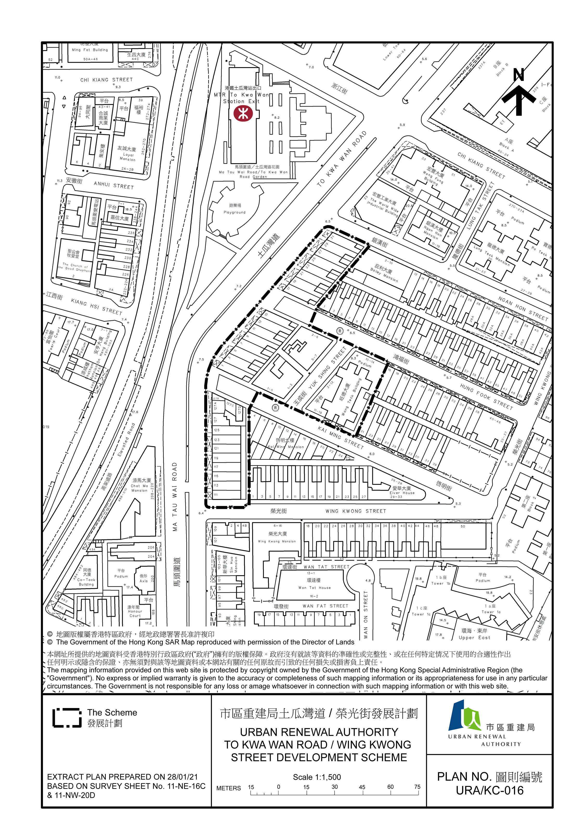
Site plan of To Kwa Wan Road / Wing Kwong Street Development Scheme
Site plan of To Kwa Wan Road / Wing Kwong Street Development Scheme

URA commences new redevelopment project in Kowloon City

The Urban Renewal Authority (URA) today (5 March 2021) commences the statutory planning procedures of the To Kwa Wan Road / Wing Kwong Street Development Scheme (KC-016) in Kowloon City.  The KC-016 project will be integrated with the seven URA ongoing redevelopment projects in the vicinity under the district-based urban renewal approach adopted since 2016 to achieve a holistic planning for the district, thereby creating more benefits for the community.  KC-016 will bring to the area improved connectivity, accessibility and pedestrian environment through a more effective pedestrian walkway and road network. 

At a media briefing to outline the KC-016 project, General Manager (Planning and Design) of the URA, Mr Christopher Wong said, “KC-016 is implemented under the district-based urban renewal approach in accordance with the objectives set out in the 2011 Urban Renewal Strategy, aiming to enhance accessibility and connectivity of the district and other commenced projects in the neighbourhood through restructuring and re-planning the land uses, as well as the pedestrian and road networks.  It would also create a more liveable community through enhanced urban design and the provision of more community facilities.”

The redevelopment will provide space for improved walkability by building a footbridge across To Kwa Wan Road connecting the To Kwa Wan MTR Station of the Tuen Ma Line to the project site, thereby providing a safe and convenient pedestrian walkway connecting the area from east to west.  In addition, the KC-016 project will further enhance the design of the road network connecting Wan On Street to Ngan Hon Street.

The project site also covers the entire Yuk Shing Street, and part of Hung Fook Street and Kai Ming Street.  The URA will restructure the site layout to provide more space for the use of pedestrians and community activities, thus creating a communal hub for leisure use and injecting vibrancy to the community, making the area more liveable and sustainable.  Furthermore, the URA’s preliminary proposal has designated about 5,540 square metres of floor area for the provision of Government, Institution or Community facilities, meeting the needs of the community.”

The KC-016 project is commenced under the Urban Renewal Authority Ordinance and announced in the Government Gazette published earlier today.  As the implementation of the project involves the amendment of the outline zoning plan of the district, the URA will submit a draft Development Scheme Plan (DSP) of KC-016, together with the Stage 1 Social Impact Assessment (SIA) Report, to the Town Planning Board (TPB) not later than 8 March 2021.  The Stage 2 SIA Report is intended for submission to the TPB on or before 21 April 2021.  The information will be available for public inspection at the specified Planning Enquiry Counters from the date as determined by the TPB.  Such information will also be made available for public inspection at the URA Headquarters, the URA’s Kowloon City Neighbourhood Centre and the URA website (www.ura.org.hk) from the date as determined by the TPB until the draft DSP is reviewed.  If the draft DSP is deemed suitable for publication under the Town Planning Ordinance after consideration by the TPB, it will be exhibited by the TPB for a period of two months, during which, any person may make representation in writing to the TPB in respect of the draft DSP.  Approval of the draft DSP will only be granted by the Chief Executive in Council upon submission of all the representations on the draft DSP by the TPB.

General Manager (Acquisition and Clearance) of the URA, Mr Kelvin Chung, said at the media briefing that the URA would start the acquisition of property interests and make compensation/rehousing offers to eligible tenants, in accordance with the policy prevailing at the time of approval of the draft DSP by the Chief Executive in Council.

The project covers approximately 560 property interests, currently occupied by about 830 households and 90 ground floor shops.  The URA has also kick-started a freezing survey earlier today in the buildings within the project site to verify the number of affected residents and the occupancy status of the property.

As social distancing measures are still in force, the URA will implement a series of infection prevention and control measures during the freezing survey.  In addition to wearing face masks, equipping with other infectious control and disinfection materials, as well as receiving Deep Throat Saliva Test, all interviewers will install the URA’s “Health Code 2.0” application to their mobile phones pairing with an electronic wristband for receiving infection risks notification before conducting the survey.  The application, which integrates the positioning system with the Department of Health’s database on the buildings with confirmed/probable cases of COVID-19, will send alerts to remind interviewers to avoid entering buildings with infection risks.  The application also allows users to scan the Government’s “LeaveHomeSafe” venue QR codes to further enhance the risk assessment capability.  These measures are intended to safeguard the health of both the occupants and the interviewers by minimising the risk of infection and spread of the virus.

Following the commencement of the project, the URA will conduct briefing sessions for affected residents of the project to be broadcast live via an online video platform to explain the planning procedure and URA’s prevailing acquisition and compensation arrangement to the affected owners and tenants.  Subject to the pandemic situation, the URA will also host physical public briefings for those residents who are unable to join the online sessions.

An urban renewal social service team staffed by professional social workers of the Salvation Army has been appointed by the Urban Renewal Fund to provide assistance to the owners and occupants of the project who are in need of support. The social service team can be reached at 3188 2151. Occupants can also visit the URA Headquarters, call the URA’s Hotline at 2588 2333 or visit the URA website at www.ura.org.hk for more information about the project. 

 

AppendixProposed development parameters of the project

Project Location

Nos. 1 – 15, 17 –31 To Kwa Wan Road (odd number), Nos. 111 – 127D Ma Tau Wai Road (odd number), Nos. 1 – 5, 11 – 19 Kai Ming Street (odd number), Nos. 1 – 7 Yuk Shing Street (odd number) and Nos. 2 – 12 Yuk Shing Street (even number), Nos. 2 – 6, 10 – 14 Hung Fook Street (even number), covering approximately 53 street numbers of buildings blocks

Project area

About 6,590 square metres

Affected buildings

(Built between 1957 - 1974)

8 - 15 storeys

Number of affected property interests*

Estimate to be about 560

Number of affected households*

Estimate to be about 830

Number of affected ground floor shops*

Estimate to be about 90

Estimated completion date*

2032

Proposed Development Content **

Domestic gross floor area

About 41,600 square metres

Number of residential flats

About 900

Government, Institution or Community facilities

About 5,540 square metres

Commercial gross floor area

About 8,320 square metres

*Subject to the result of freezing survey

** Subject to future detailed design

 

(ENDS)