Skip to main content
Press Releases
Existing view of Pak Tai Street/San Shan Road project
Existing view of Pak Tai Street/San Shan Road project
Existing view of Fuk Wing Street project
Existing view of Fuk Wing Street project
Findings of a building condition survey show that most of the buildings in the two projects are poorly dilapidated.
Findings of a building condition survey show that most of the buildings in the two projects are poorly dilapidated.
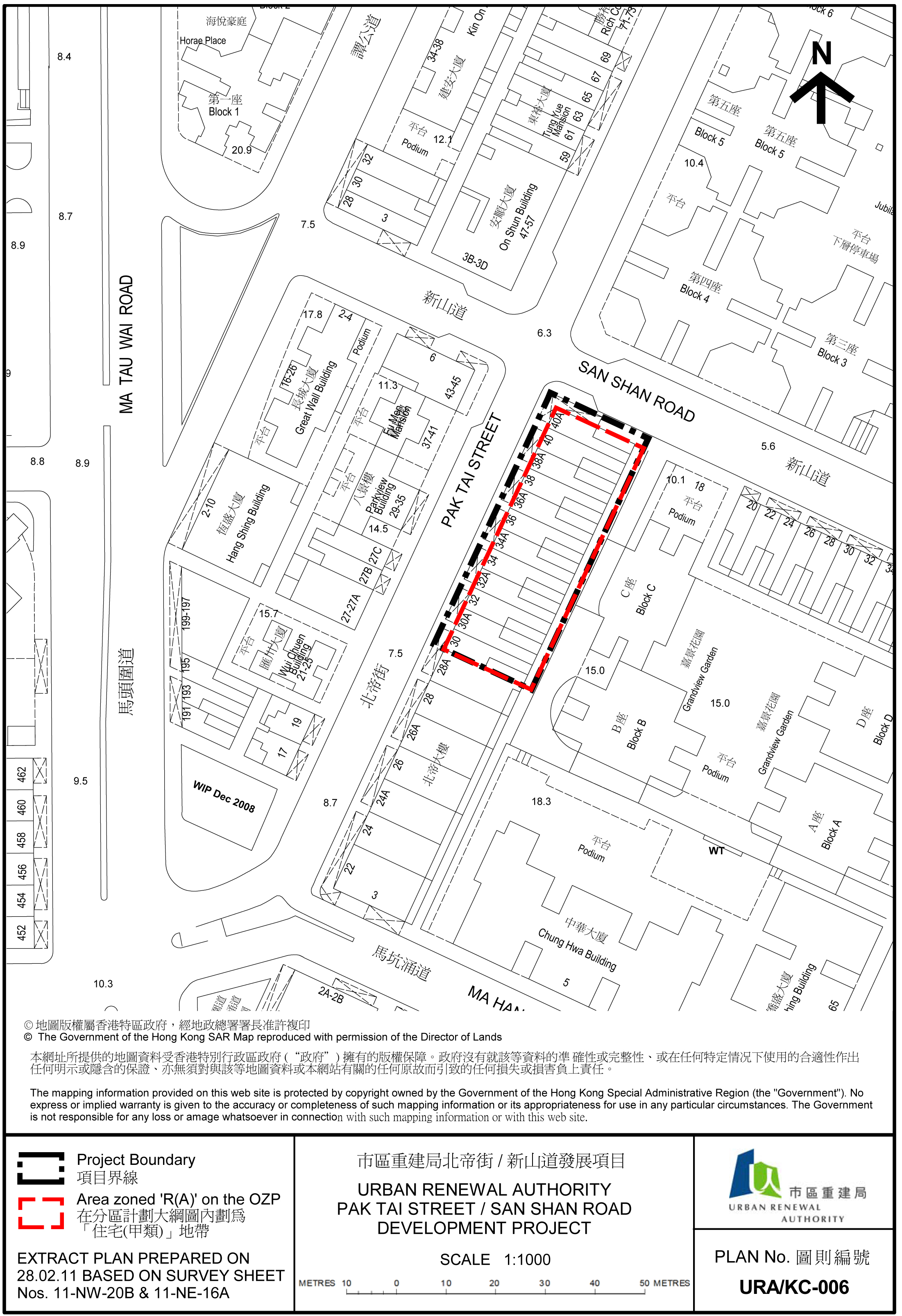
Site plan of Pak Tai Street/San Shan Road project
Site plan of Pak Tai Street/San Shan Road project
Site plan of Fuk Wing Street project
Site plan of Fuk Wing Street project

URA starts two new redevelopment projects under the new URS

Pursuant to its approved ninth annual business plan, the Urban Renewal Authority (URA) commenced today (Friday) the statutory planning procedures for two new redevelopment projects which will be implemented in accordance with the newly promulgated Urban Renewal Strategy (URS).  One of the projects is located at Pak Tai Street and San Shan Road in Ma Tau Kok while the other one is situated at Fuk Wing Street in Sham Shui Po.

Speaking at a media briefing this morning, the Managing Director of the URA, Mr Quinn Law, said the new initiatives of the new URS will be applicable to the two projects, where appropriate.

"Subsequent to the project authorization, the flat-for-flat option will be offered as an alternative option to cash compensation to the domestic owner-occupiers in these two projects. They can consider taking cash compensation or using it to buy a new flat in-situ in the new development or in the Kai Tak development," he said.

As this is an alternative option, the amount of cash compensation and ex-gratia payment offered to a domestic owner-occupier will not be increased or enhanced by his/her choice in joining the flat-for-flat arrangement.  Neither is it a direct exchange of an old flat for a new one, Mr Law stressed.

"The implementation arrangements for flat-for-flat option outlined in Monday's press conference will be presented to the owner-occupiers in greater details at the briefing sessions scheduled in the next two weeks," he added.

Mr Law noted that in accordance with the new URS, the URA will adopt a compassionate approach on assessing the eligibility of owners of tenanted domestic units for ex-gratia payment in exceptional circumstances such as elderly owners who rely on the rental income from their properties for a living.

Findings of a building condition survey show that most of the buildings in the two projects are poorly dilapidated.  These two new projects will help improve the living environment of about 210 households.

In accordance with section 23 of the Urban Renewal Authority Ordinance (URAO), two URA notices announcing the commencement of these two projects are published in the Gazette today.

Also speaking at the briefing session, Director (Acquisition & Clearance), Mr Joseph Lee, said the Pak Tai Street/San Shan Road project, being the fifth one implemented by the URA in Ma Tau Kok/To Kwa Wan district, will give an added impetus to facelift the district where redevelopment and rehabilitation efforts have been going on hand in hand over the years.   The four announced projects have helped improve the living environment of some 1,960 households while owners of some 18,000 units of 420 buildings in the district have benefited from joining the building rehabilitation schemes.

The project area occupies a corner site abutting Pak Tai Street in Ma Tau Kok, covering an area of about 1,280 m2.  Built in 1957, the 12 street numbers of buildings within the project area are in a generally poor condition. The buildings are of 8 storeys with no lifts and there are unauthorized rooftop structures.

The project affects a total of 108 property interests.  It is estimated that there are about 150 households and 18 shops affected, but the actual number has yet to be ascertained in a freezing survey conducted by the URA today.

The URA's initial proposal is to redevelop the site to provide about 130 residential units with flat sizes of around 35 square metres to 65 square metres and, tentatively scheduled for completion by 2018/2019.

The acquisition and rehousing cost for Pak Tai Street project is estimated at about $630 million at current prices. Adding construction and interest to the budget, the total development cost is estimated to reach $1,100 million.

Meanwhile, the Fuk Wing Street project in Sham Shui Po covers an area of about 650 square metres.  Built in 1956, the six street numbers of buildings within the project area are in a poor condition with unauthorized rooftop structures.

Over the years, a total of 13 redevelopment projects have been implemented by the URA in Sham Shui Po, five in collaboration with the Housing Society (HS), to help improve the living environment of some 4,450 households.

Sham Shui Po will see a major facelift in the next few years upon the gradual completion of all these projects.  Besides, some 167 buildings involving over 4,900 residential units in the district have also joined the building rehabilitation schemes of the URA.

The project affects a total of 32 property interests.  It is estimated that there are about 60 households and seven shops affected.  However, the actual number will be ascertained in a freezing survey conducted by URA today.

The URA's initial proposal is to redevelop it to provide about 70 residential units with flat sizes of around 40 square metres to 60 square metres and, tentatively scheduled for completion by 2018/2019.

The acquisition and rehousing cost for Fuk Wing Street project is estimated at about $180 million at current prices, while the total development cost is estimated to reach $350 million.

Within the next two months, plans delineating the boundaries of these two projects plus a general description will be put on display for public inspection at:

Ma Tau Wai Project Sham Shui Po Project

  • the URA's Ma Tau Wai Neighbourhood Centre, Shop A, Ground Floor, 426-430 Ma Tau Wai Road, Kowloon
  • the Public Enquiry Service Centre of the Kowloon City District Office, Room 1707, 17th Floor, One Harbourfront, 18-22 Tak Fung Street, Hung Hom, Kowloon
  • the Public Enquiry Service Centre of the To Kwa Wan Sub-office, Kowloon City District Office, Shops 2 and 3, Ground Floor, Jubilant Place, 33 Ma Tau Kok Road, To Kwa Wan, Kowloon


Sham Shui Po Project

  • the URA's Sham Shui Po Neighbourhood Centre, G/F, Shop C, 182 Fuk Wa Street, Sham Shui Po
  • the Public Enquiry Service Centre of the Sham Shui Po District Office, G/F, Cheung Sha Wan Government Offices, 303 Cheung Sha Wan Road, Sham Shui Po, Kowloon.
  • the URA Headquarters (26/F, Cosco Tower, 183 Queen's Road Central, Central)

In accordance with the new URS, the URA will make the Stage 1 social impact assessment (SIA) report available for public information at the above venues from 25 March 2011. The Stage 2 SIA report will be made available for public information at the above locations from 11 May 2011.

The URA will then have to consider all written objections received during the two-month consultation period before submitting the development projects, together with the URA's deliberation on the objections, unwithdrawn objections, and an assessment of the likely effect of the implementation of the project to the Secretary for Development for consideration.  Under section 24 of the URAO, the Secretary for Development shall then consider the development project and any objections which are not withdrawn and determine whether to authorize or amend or decline to authorize the development project.

If approval is eventually granted by the Secretary for Development, the URA will proceed with acquisition of the properties and re-housing for the tenants in accordance with the prevailing acquisition and rehousing principles.

In the offer letters, domestic owner-occupiers will also be given the flat-for-flat option as an alternative to compensation, said Mr Lee.

He noted that about 60 URA staff members were deployed to conduct the freezing survey to ascertain the actual number of households and the occupancy status of these two projects. "The URA will arrange public meetings shortly to explain to the affected owners and tenants the planning approval procedure and the prevailing acquisition and compensation arrangements," Mr Lee added.

An urban renewal social service team commissioned by the URA and staffed by professional social workers of The Salvation Army will provide counselling and practical assistance that the residents may need. The contact number of the social service team is 3188 2151. Affected residents can also visit the URA's Ma Tau Wai Neighbourhood Centre, Shop A, G/F, 426-430 Ma Tau Wai Road or the URA's Sham Shui Po Neighbourhood Centre, G/F, Shop C, 182 Fuk Wa Street, Sham Shui Po in person; or call the URA's Hotline at 2588 2333 for enquiries.  Members of the public can also visit the URA Website at www.ura.org.hk for project information.

(ENDS)