Skip to main content
Press Releases
Secretary for Development, Carrie Lam and Chairman of URA, Barry Cheung at the media briefing of demand-led projects
Secretary for Development, Carrie Lam and Chairman of URA, Barry Cheung at the media briefing of demand-led projects
Secretary for Development, Carrie Lam, Chairman of Yau Tsim Mong District Council, Edmond Chung, and Chairman of URA, Barry Cheung, visiting an owner of the Pine Street/Oak Street project
Secretary for Development, Carrie Lam, Chairman of Yau Tsim Mong District Council, Edmond Chung, and Chairman of URA, Barry Cheung, visiting an owner of the Pine Street/Oak Street project
Existing view of three demand-led projects
Existing view of three demand-led projects
The buildings involved are in a dilapidated condition
The buildings involved are in a dilapidated condition
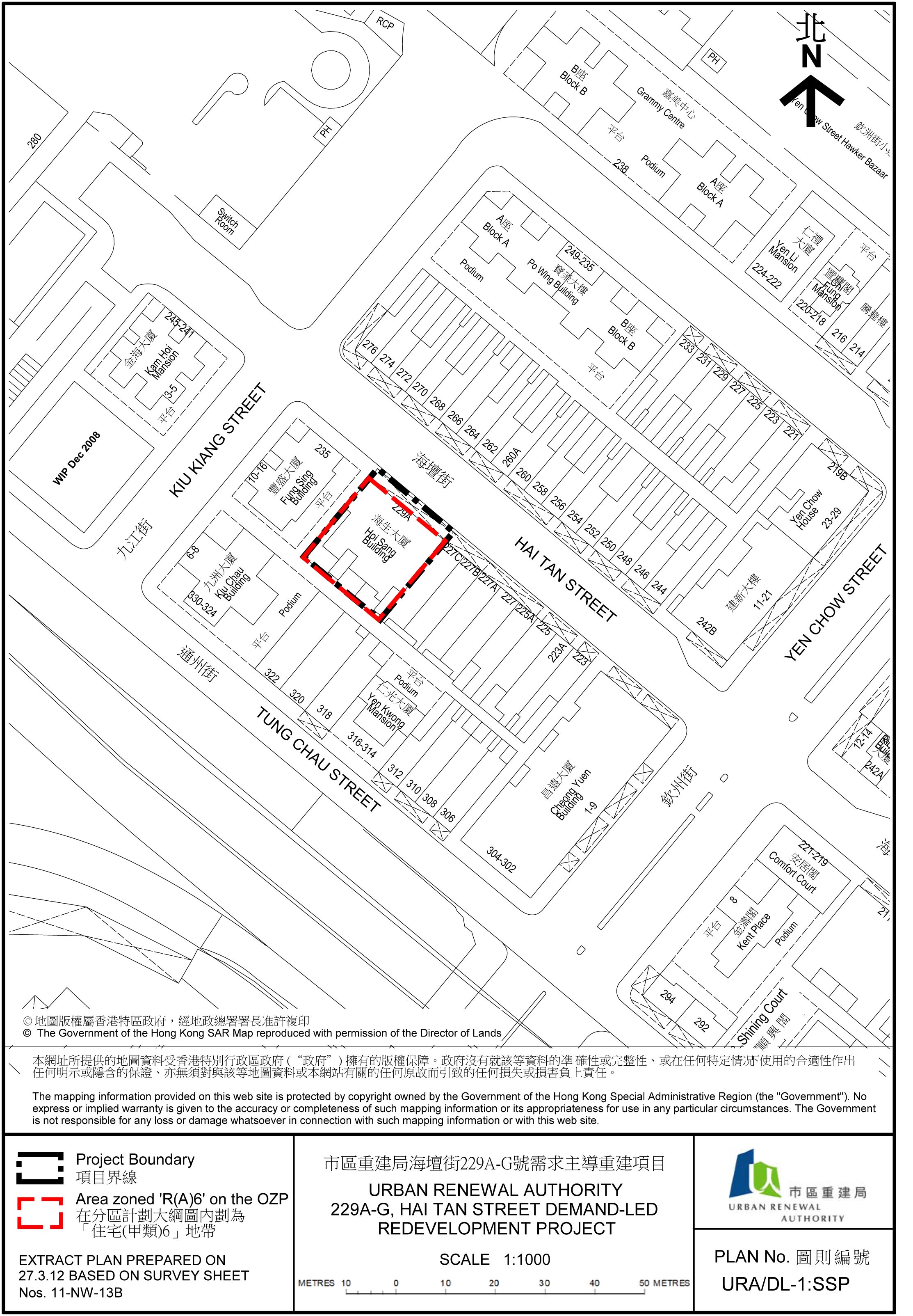
Site plan - 229A-G Hai Tan Street
Site plan - 229A-G Hai Tan Street
Site plan - 205-211A Hai Tan Street
Site plan - 205-211A Hai Tan Street
Site plan - Pine Street and Oak Street
Site plan - Pine Street and Oak Street

URA commences three demand-led redevelopment projects

Adopting an important initiative promulgated in the new Urban Renewal Strategy (URS) to take a diverse form in redevelopment and quicken its pace, the Urban Renewal Authority (URA) has today (Friday) made its debut for the commencement of the planning procedures for three demand-led redevelopment projects.

The Secretary for Development, Mrs Carrie Lam, and the Chairman of the URA, Mr Barry Cheung, witnessed this important milestone in urban renewal at a joint media briefing this morning to announce details of the three projects. 

Speaking at the briefing session, Mr Cheung said the demand-led model had exemplified a "bottom-up" approach with great emphasis on people first under the URS.  It provides an opportunity for owners to initiate redevelopment of their own properties.

He described the response from property owners as overwhelming as a total of 25 applications had been received during the submission period. 

"Based on a set of selection criteria determined by the URA's Board, three that fully met the criteria have been chosen for inclusion in the 2012/13 business plan of the Authority, which has duly been approved by the Financial Secretary. Originally we had planned to launch one to two demand-led pilot projects in this financial year. Because of the encouraging response from owners, we decided to kick start the pilot scheme with three projects," said Mr Cheung.

He highlighted that those three selected demand-led projects have not only met the threshold of 67% of the undivided shares in each lot of the buildings under application but exceeded it to reach over 70%.  All three project sites are over 400 square metres in area, with ability to generate planning gains for the community.  Moreover, the buildings involved are in a dilapidated condition and are beyond economically rehabilitation.

Mr Cheung went on to provide the reasons for the remaining 22 submissions not being selected.  "Some 17 submissions do not fulfill the 67% undivided shares threshold while some are either too small in site area to bring about any planning gains or are not dilapidated."

The three demand-led projects, two in Sham Shui Po and one in Tai Kok Tsui, will involve a total of 226 property interests and help improve the living environment of some 290 households, who are currently living in buildings of about 50 years old.

The Tai Kok Tsui project at 13-31 Pine Street and 87 Oak Street, is about 865 square metres in area, involving 11 street numbers.  It is the 11th redevelopment project of the URA in Yau Tsim Mong district, where some 340 buildings of 31,500 flats in the district have been improved under the building rehabilitation schemes of the Authority.

The two Sham Shui Po projects at 229A-G and 205-211A Hai Tan Street, having 953 square metres in aggregate, bring the total number of redevelopment projects in the district by URA to 16.

In accordance with Section 23 of the Urban Renewal Authority Ordinance (URAO), URA notices announcing the commencement of the three projects are published in the Gazette today, to be followed by a two-month publication period.  The URA will then consider written objections received during the publication period and submit the three applications to the Secretary for Development within three months at the end of the two-month publication period.

About 130 URA staff members have been deployed to conduct the freezing survey to ascertain the actual number of households and the occupancy status of the properties within the three project sites.

The URA will arrange public meetings shortly to explain to the affected owners and tenants the planning approval procedure and the prevailing acquisition and compensation arrangements for demand-led projects.

"To expedite the whole redevelopment, we shall issue conditional offers to the owners of these demand-led projects soon after processing the written objections received, if any, while awaiting a decision from the Secretary for Development.  The offer will be valid for 60 days," said Mr Cheung.

In order to take forward the implementation of these projects, Mr Cheung said there must be an acceptance of URA's conditional offers and the signing of Sale and Purchase Agreements by owners of not less than 80% of undivided shares of each lot of buildings in the redevelopment site within 60 days of the issue of the conditional offers.

"If the conditional offer is fulfilled and the project is approved by the Secretary for Development, the URA will then complete the acquisition with owners and offer the domestic owner-occupiers the flat-for-flat option. If not, the projects will not proceed any further."

The URA's current proposal is to redevelop the three projects to provide around 230 residential units of small to medium size, including some at the lower levels for flat-for-flat option.  It is tentatively scheduled for completion by 2019/20.

The acquisition and rehousing cost for the three projects is estimated at about $902 million at current prices. Adding construction, interest and other costs to the budget, the total development cost is projected to reach $1,582 million.

During the two-month publication period, site plans delineating the boundary of the three projects plus a general description will be put on display for public inspection at:

Hai Tan Street projects:

  • the URA's Sham Shui Po Neighbourhood Centre, G/F, Shop C, 182 Fuk Wa Street, Sham Shui Po, Kowloon
  • the Public Enquiry Service Centre of the Sham Shui Po District Office, G/F, Cheung Sha Wan Government Offices, 303 Cheung Sha Wan Road, Sham Shui Po, Kowloon

Pine Street and Oak Street project:

  • the Urban Renewal Resource Centre, 6 Fuk Tsun Street, Tai Kok Tsui, Kowloon
  • the Public Enquiry Service Centre of the Yau Tsim Mong District Office, G/F, Mong Kok Government Offices, 30 Luen Wan Street, Mong Kok Kowloon
  • the URA Headquarters (26/F, Cosco Tower, 183 Queen's Road Central, Hong Kong)

Such information is also available on the Urban Renewal Authority website at . 

In accordance with the URS, the URA will make the Stage 1 Social Impact Assessment (SIA) report available for public information at the above venues from 20 April 2012. The Stage 2 SIA report will be made available for public information at the above locations from 6 June 2012.

An urban renewal social service team staffed by professional social workers of Salvation Army, which has been appointed by Urban Renewal Fund Limited, will provide counselling and practical assistance that the residents may need.  The contact number of the social service team is 3586 3095. Affected residents can also visit the URA's Neighbourhood Centres in Sham Shui Po and Tai Kok Tsui, Kowloon, in person; or call the URA's Hotline at 2588 2333 for enquiries. Members of the public can also visit the URA website at www.ura.org.hk for project information.

Mr Cheung added that the next round of applications for demand-led redevelopment projects from owners would be open from June to August this year.

(ENDS)