返回
中西區
皇后大道西 / 桂香街發展項目 (C&W-007)
皇后大道西/賢居里發展計劃 (C&W-006)
崇慶里/桂香街發展項目 (C&W-005)
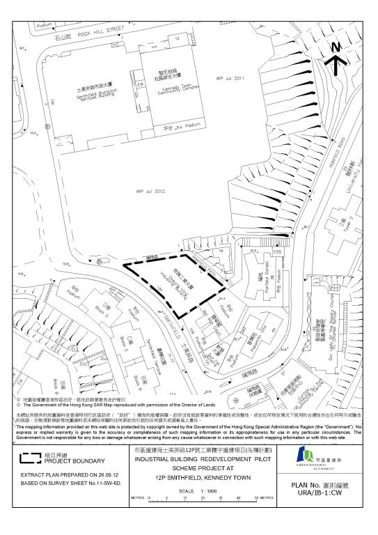
士美菲路12P號工業樓宇重建項目(先導計劃)(IB-1:CW)
第三街 / 餘樂里 / 正街項目
第一街 / 第二街項目
加惠民道項目
堅尼地城新海旁項目
卑利街/嘉咸街發展計劃 (H18)
皇后街項目
馬頭角 / 土瓜灣 / 紅磡 / 九龍城
馬頭圍道 / 落山道發展項目 (KC-020)
明倫街 / 馬頭角道發展計劃 (KC-018)
土瓜灣道 / 馬頭角道發展計劃 (KC-019)
衙前圍道 / 賈炳達道發展計劃 (KC-017)
土瓜灣道 / 榮光街發展計劃 (KC-016)
靠背壟道 / 浙江街發展計劃 (CBS-2:KC)
盛德街/馬頭涌道發展項目 (CBS-1:KC)
啟德道/沙浦道發展計劃 (KC-015)
榮光街/崇安街發展項目 (KC-014)
啟明街/榮光街發展項目 (KC-013)
鴻福街/啟明街發展項目 (KC-011)
鴻福街/銀漢街發展計劃 (KC-010)
榮光街發展項目 (KC-012)
春田街/崇志街發展計劃 (KC-008(A)) (煥然懿居 第三座)
庇利街/榮光街發展項目 (KC-009)
春田街/崇志街發展項目 (KC-008)
土瓜灣道需求主導重建項目 (DL-9:KC)
啟明街需求主導重建項目 (DL-8:KC)
九龍城道/上鄉道發展項目
必嘉圍項目
新山道 / 炮仗街發展項目
北帝街 / 新山道發展項目
北帝街 / 木廠街發展項目
馬頭圍道 / 春田街發展項目
浙江街 / 下鄉道發展項目
深水埗 / 長沙灣
通州街∕桂林街 (需求主導重建項目 (DL-5:SSP))
昌華街 / 長沙灣道發展計劃 (SSP-018)
兼善里/ 福華街發展項目(SSP-017)
青山道 / 元州街發展項目 (SSP-016)
黃竹街需求主導重建項目 (DL-7:SSP)
東京街 / 福榮街重建項目 (SSP-015)
汝州西街777-783號工業樓宇重建項目(先導計劃)(IB-2:SSP)
九龍道 / 僑蔭街項目需求主導重建項目 (DL-4:SSP)
海壇街205至211A號需求主導重建項目 (DL-2:SSP)
海壇街229A至G號需求主導重建項目 (DL-1:SSP)
青山道╱興華街項目
興華街╱元州街╱福榮街項目
元州街╱興華街╱青山道項目
青山道╱昌華街項目
保安道╱懷惠道項目
保安道 / 順寧道項目
福榮街 / 福華街項目
順寧道發展項目
荔枝角道/桂林街及醫局街發展計劃
海壇街/桂林街及北河街發展計劃
福榮街發展項目
大角咀 / 旺角 / 油麻地
洗衣街 / 花墟道發展計劃 (YTM-013)
山東街 / 地士道街發展計劃 (YTM-012)
橡樹街/埃華街發展項目 (YTM-011)
萬安街/大角咀道需求主導重建項目 (DL-12:YTM)
槐樹街需求主導重建項目 (DL-11:YTM)
福澤街 / 利得街項目 (需求主導重建項目 (DL-6:YTM))
杉樹街∕橡樹街項目 (DL-3:YTM)
新填地街∕山東街發展項目 (YTM-010)
麥花臣室內場館項目
杉樹街/晏架街項目
洋松街/松樹街項目
必發道/洋松街項目
新填地街項目
櫻桃街項目
洗衣街項目
晏架街/ 褔全街發展計劃
福全街/杉樹街發展項目
廣鏞街項目
窩打老道/雲南里項目
亞皆老街╱上海街項目
尖沙咀
河內道項目
黃大仙
衙前圍村項目 (K1)
發展局局長根據《市區重建局條例》第24(4)(c)條,決定拒絕授權市區重建局進行該項目,並於2013年7月5日於憲報刊登關於撤回該項目的公告。
相關文件