Skip to main content
Press Releases
Secretary for Development, Paul Chan (centre), Chairman of URA, Barry Cheung (left), and Managing Director of URA, Quinn Law (right), at the media briefing of URA’s first industrial building redevelopment pilot scheme project
Site plan
Site plan

URA commences the first industrial building redevelopment pilot scheme project

The Urban Renewal Authority (URA) today (Friday) announced the commencement of the first industrial building redevelopment pilot scheme project in Kennedy Town of Central and Western District, which is undertaken as a prompt response to the call of the Government in February 2012 that there is a need to accelerate the renewal of old industrial areas so as to release more sites for residential or commercial development in Hong Kong.

At a media briefing to announce details of the pilot scheme project, the Chairman of the URA, Mr Barry Cheung, said the Financial Secretary, in his budget speech this year, has invited the URA to take part in the redevelopment of industrial buildings in the form of a pilot scheme as many industrial buildings are situated on lots already rezoned for other uses.

"After all, achieving better utilisation of land in the dilapidated areas of the built environment ofHong Kongand to make land available to meet various development needs is one of the main objectives of urban renewal stated in the Urban Renewal Authority Ordinance," said Mr Cheung.

The URA is going to launch two pilot scheme projects of industrial buildings in its 2012-13 business plan, which has obtained the approval of the Financial Secretary.

It is planned that the second one will be rolled out early next year after riding on the experience of the first scheme project.

Echoing the earlier announcement of the Chief Executive that a multi-pronged approach is taken to increase the supply of housing and land in the short, medium and long-term, Mr Cheung said the URA would co-ordinate its work to tie in with the Government policies.

These included:

  1. URA shall aim to expand the redevelopment programme in the next five years in terms of scale and quantity, undertaking 20 to 25 URA-initiated and demand-led redevelopment projects at a total development cost of some $25 billion.  URA-initiated projects will be targeting at site areas not less than 1,000 square metres.
  2. After trying out the pilot scheme projects, URA shall review the situation in consultation with the Government on the level of its long-term commitment on the redevelopment of industrial buildings.
  3. URA shall work to find out if it is possible to shorten the time span in the project planning and resumption process through a series of technical enhancements so that URA would be able to act promptly in response to the Government policies on land supply and housing.
  4. URA plans to provide 4,500 residential flats in the next five years, of which around 50 percent will be less than 500 square feet in saleable area.
  5. Consideration will be given to the application of the 'Hong Kong Property for Hong Kong People' policy to individual URA projects for which acquisition and clearance are nearing completion taking into account the Government practice and the market conditions as well as URA's commitments.

He noted that as early as February this year, a task force headed by the Managing Director of the URA, Mr Quinn Law, has been set up to look into the implementation framework for the redevelopment of industrial buildings as a pilot scheme.  The Board of the URA has recently approved the proposed project selection criteria, the number of pilot projects to be undertaken and the related acquisition policies.

Some of the major selection criteria included:

  1. Selected buildings are in poor or varied conditions;
  2. Buildings are over 30 years;
  3. The site area is ideally over 1,000 square metres;
  4. Relatively high vacancy rate;
  5. Few heavy industrial workshops among the occupants and buildings are more for non-industrial use; and
  6. Buildings are in multiple ownership with no dominant single owner owning more than 30 per cent of the property interests in the site.

In accordance with Section 23(1) of the Urban Renewal Authority Ordinance (URAO), a URA notice announcing the commencement of the pilot scheme project is published in the Gazette today.

The Managing Director of the URA, Mr Quinn Law, who also attended the media briefing, outlined the details of the pilot scheme project. 

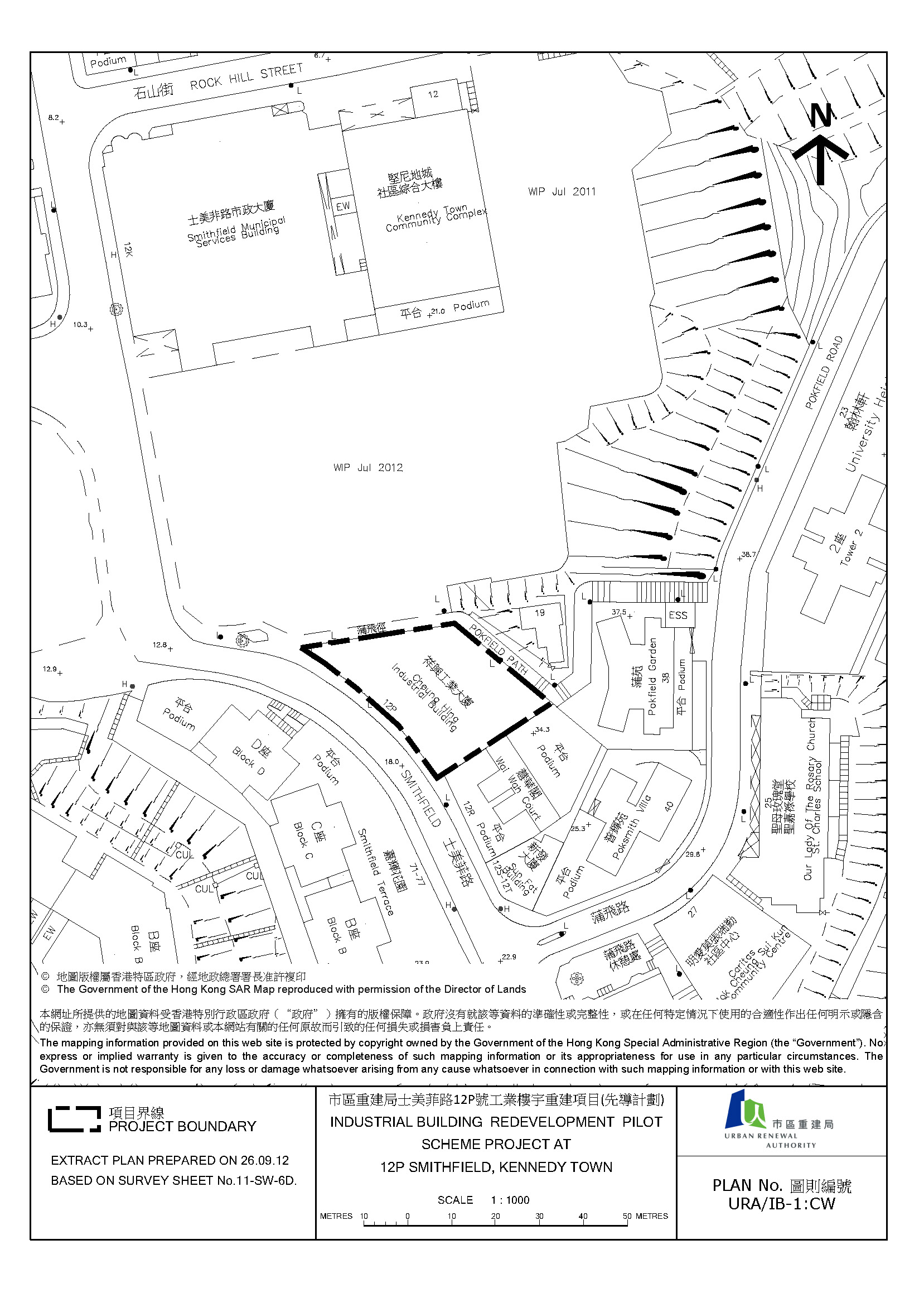
"The industrial block to be redeveloped is located at 12P Smithfield, Kennedy Town within the Central and Western District.  Built in 1972, the 12-storey industrial block with a site area of 944 square metres, has been zoned for residential use in the relevant statutory plan for the area.  It is estimated that the project is going to affect a total of 14 property interests and some 11 business operators, but the actual number has yet to be ascertained in a freezing survey conducted by the URA today," said Mr Law.

Findings of a building conditions survey showed that the building is dilapidated and much of it is vacant.  Unauthorized structures can also be found on the rooftop.

The URA's initial proposal is to redevelop the site to provide about 8,000 square metres of residential space for some 180 residential units, most units are with a saleable area of less than 500 square feet, and some floor areas for retail businesses.  It is tentatively scheduled for completion by 2018/2019.

Mr Law said: "The acquisition and clearance cost for the project is estimated at about $730 million at current prices. Adding construction and interest to the budget, the total development cost is estimated to reach $1,206 million."

As from today, a two-month consultation period will begin under Section 23 (3) of the URAO. Within the period, a site plan delineating the boundary of the project plus a general description will be put on display for public inspection at:

  • the URA Headquarters (26/F,COSCOTower, 183 Queen's Road Central, Central);
  • the URA's Gage Street Neighbourhood Centre (3/F Min Yuen Commercial Building, 29-33 Gage Street, Central); and
  • the Public Enquiry Service Centre of the Central and Western District Office (Unit 5, G/F, The Center, 99 Queen's Road Central).

In accordance with the Urban Renewal Strategy, the URA will make the Stage 1 Social Impact Assessment (SIA) report available for public information at the above venues from 26 October 2012. The Stage 2 SIA report will be made available for public information at the above locations from 5 December 2012.

"Should there be any written objections to this project received during the two-month consultation period, the URA will consider the objections carefully. Included in its submission of the development project to the Secretary for Development for consideration will be the URA's deliberation on the objections, unwithdrawn objections, and an assessment of the likely effect of the implementation of the project.  Under Section 24 of the URAO, the Secretary for Development shall then consider the development project and any objections which are not withdrawn and determine whether to authorize or amend or decline to authorize the development project," Mr Law explained.

If approval is eventually granted by the Secretary for Development, the URA will proceed with acquisition of the properties in accordance with the prevailing acquisition principles, he added. 

Mr Law disclosed that about 20 URA staff members have been deployed to conduct the freezing survey to ascertain the actual number of owners and operators in the project. "The URA will arrange a meeting shortly to explain to the public, the affected owners and tenants the planning approval procedure and the acquisition and compensation arrangements for industrial buildings approved by the Board of the URA in June this year," he said.

An urban renewal social service team staffed by professional social workers of St James' Settlement will be on site to render assistance.  The contact number of the social service team is 2857 1606.Affected occupiers can also visit the URA's Gage Street Neighbourhood Centre, Central in person; or call the URA's Hotline at 2588 2333 for enquiries.  Members of the public can also visit the URA Website at www.ura.org.hk for project information.

(ENDS)