Skip to main content
Press Releases
Director (Acquisition and Clearance) of the URA, Mr Ian Wong (left), and Assistant General Manager (Planning and Design) of the URA, Mr Wilfred Au (right), at the media briefing of Hang On Street demand-led project.
Existing view of Hang On Street demand-led redevelopment project
Existing view of Hang On Street demand-led redevelopment project
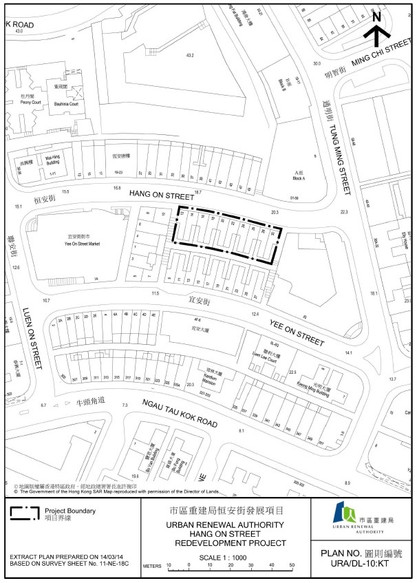
Site plan of Hang On Street demand-led redevelopment project
Site plan of Hang On Street demand-led redevelopment project

URA commences third redevelopment project in the third round of demand-led pilot scheme

The Urban Renewal Authority (URA) today (Friday) announced the commencement of the third demand-led redevelopment project under the third round of the pilot scheme at Nos. 12-30 Hang On Street (even number) in Kwun Tong.  It is also the tenth demand-led project commenced by the URA since the introduction of the demand-led pilot scheme in 2011.

The project covers a gross site area of about 865 square metres. It comprises a single nine-storeyed building covering 10 street numbers.  The building was built in 1963 and is in poor or varied conditions with unauthorized building structures and subdivided units. The living condition is considered unsatisfactory.

Speaking at a media briefing session this morning, Assistant General Manager (Planning and Design) of the URA, Mr Wilfred Au, said the project affects a total of 90 property interests. It is estimated that there are about 160 households and about 11 ground floor shops. The actual number will have to be confirmed in a freezing survey to be conducted by the URA today.

Although the URA has commenced the project today, Mr Au pointed out that whether the URA will continue to implement it after the freezing survey depends on the fulfillment of the following two conditions precedent:

1. Owners of not less than 80 percent of undivided shares of each lot in the project site accept the URA's conditional acquisition offers and sign the legally binding sale and purchase agreements within 75 days; and

2. The Secretary for Development authorizes the project and no appeal is filed within the appeal period or if appeal is filed, the dismissal of appeal, within one year of the issue of the conditional acquisition offers by the URA. 
 
If any of the two conditions precedent is not met within the prescribed time, the project will be aborted.

In accordance with Section 23 of the Urban Renewal Authority Ordinance, an URA notice announcing the commencement of the project is published in the Gazette today. There will be a two-month publication period commencing today. The URA will consider written objections to the project received during the publication period.

Also speaking at the briefing session, Director (Acquisition & Clearance) of the URA, Mr Ian Wong, said conditional offers would be offered to the property owners soonest possible after the two-month publication period. The offers will be valid for 75 days. 

"If the 80% condition precedent is fulfilled within the 75-day period and the Secretary for Development approval condition precedent is fulfilled within the one year period, the URA will then complete the sale and purchase agreements with the relevant owners. Flat-for-flat option will be offered to eligible owner-occupiers thereafter. If not, the project will be aborted," said Mr Wong.

Mr Wong said that about 70 URA staff members have been deployed to conduct the freezing survey to ascertain the actual number of households and the occupancy status of the properties within the project site.
 
The URA will arrange briefing sessions next week to explain to the affected owners and tenants the planning procedures and the acquisition and compensation arrangements for demand-led (pilot scheme).
 
During the two-month publication period, a site plan delineating the boundary of the project plus a general description will be put on display for public inspection at:

1. the URA's Kwun Tong Resource Centre, G/F, 64 - 68 Yue Man Square, Kwun Tong, Kowloon;

2. the Public Enquiry Service Centre of the Kwun Tong District Office, G/F, The Grande Building, 398 Kwun Tong Road, Kwun Tong, Kowloon; and

3.  URA Headquarters, 26/F, COSCO Tower, 183 Queen's Road Central, Hong Kong.

Such information is also available on the URA website at http://www.ura.org.hk/

An urban renewal social service team staffed by professional social workers of Christian Family Service Centre, which has been appointed by the Urban Renewal Fund, will provide counselling and practical assistance that the residents may need. The contact number of the social service team is 35808841. 

The URA's current proposal is to redevelop the project to provide about 5,950 square metres of residential floor area for about 115 residential units.  It will also provide of non-domestic floor area of about 740 square metres. The project is tentatively scheduled for completion by 2021/2022.  The total development cost for the project is now estimated at about $1,200 million.

 (ENDS)